Miasto Mińsk Mazowiecki

Zdjęcia w topie

Zmiana wizualizacji

Data

Dzisiaj jest 3 marca 2021

Imieniny:

Kunegundy, Maryny, Hieronima

Menu główne

Plan zagospodarowania przestrzennego

Ewidencja zabytków

Księga gości

Wpisz się do księgi gości. Zostaw po sobie ślad.

Newsletter

Newsletter
Zapisz się do newslettera i bądź na bieżąco z wydarzeniami

Podaj poniżej adres e-mail

Reklama

  • Europa dla Obywateli
  • MSA wyposażenie

Nawigacja:

Treść strony

MIM styczniowy dostępny już on line

Informacja o dyżurach Przedszkoli Miejskich w okresie wakacji 2016

Harmonogram Lodowiska MOSiR

Centrum Nauki Kopernik w bibliotece!

27 stycznia, bibliotekę, już po raz trzeci, odwiedziło Centrum Nauki Kopernik. W latach ubiegłych, z uwagi na duże zainteresowanie czytelników wystawą objazdową dla dzieci, animatorzy z CNK aż dwukrotnie przyjechali do biblioteki z interaktywną wystawą „Ekperymentuj!”. Natomiast w tym roku, Kopernik dotarł do nas z zupełnie nowym pokazem - „Umysł Przyłapany”, skierowanym do młodzieży powyżej 14 roku życia oraz osób dorosłych. Prezentacja poszczególnych eksponatów w przystępny sposób wyjaśniła podstawowe mechanizmy działania ludzkich zmysłów. Codziennie dociera do nas niezliczona ilość bodźców, jednak nie wszystkie zasługują na naszą uwagę. Umysł ma za zadanie dokonać selekcji informacji, w tym celu odpowiednio manipuluje pamięcią, szuka związków i tworzy rozmaite myślowe kombinacje. Uczestnictwo w wystawie pozwoliło empirycznie sprawdzić, jak działają nasze zmysły. Pod okiem fantastycznych animatorów mogliśmy dotknąć, poczuć i sprawdzić na własnej skórze działanie naszych zmysłów. Każdy uczestnik mógł usiąść na gwoździach i przekonać się, że taka czynność wcale nie musi być bolesna, spróbować usłyszeć dźwięki za pomocą łokcia, a także na własne oczy zobaczyć, jak zawodne potrafi być tak zwane pierwsze wrażenie. Wystawę można podsumować stwierdzeniem, że głównym jej „eksponatem” był człowiek. 

MBP, fot. z arch. biblioteki

Spotkanie z Maciejem Krupą w bibliotece

O tym, że najpiękniejsze historie to te zapisane pod Tatrami, przekona nas już wkrótce Maciej Krupa, autor książki „Kroniki zakopiańskie”. 12 lutego, o godz. 18:30 biblioteka zaprasza wszystkich, zwłaszcza miłośników gór, na spotkanie pełne gawęd i opowieści z niezwykłego miejsca, jakim jest Zakopane.

Ten szczególny punkt na mapie Polski nieustannie przyciąga do siebie ludzi zafascynowanych kulturą góralską i charakterystycznym architektonicznym stylem. To zakątek pełen wspomnień o wyjątkowych postaciach polskiej literatury i nauki, takich jak: Witkacy, Helena Modrzejewska czy Maria Curie-Skłodowska. Miejsce ulokowane u podnóża gór, skrywa w sobie wiele tajemnic. Część z nich odkrywa w swojej książce Maciej Krupa, przytaczając ogrom faktów oraz niesamowitych anegdot, takich jak budowa balonu, w celu zapewnienia Polsce miejsca wśród państw podbijających stratosferę.  Wspólnie przekonajmy się, jak magiczne jest Zakopane, pełne góralskich legend i wspomnień.       

MBP

Już ferie, zamiast siedzieć w domu, przyjdźcie do Gralni!

Od poniedziałku 1 lutego, zapraszamy wielbicieli rozrywek w stylu retro do naszej nowej GRALNI w Czytelni dla młodzieży i dorosłych na I piętrze Miejskiej Biblioteki Publicznej.

Czekają na Was gry planszowe przygodowe, strategiczne, kreatywne,  takie jak "Carcassonne", „Wsiąść do pociągu” czy wspominająca PRL „Kolejka” albo rozbudzająca wyobraźnię gra „Dixit”. Można także przyjść ze swoją grą, a nawet zarezerwować stół dla 6 osób, by w gronie przyjaciół pograć w planszówkę.

W Gralni słuchamy także muzyki, do dyspozycji czytelników jest adapter, płyty winylowe oraz stanowiska odsłuchowe CD. Nasze muzyczne zasoby będziemy wzbogacać zależnie od potrzeb użytkowników.

Wszystko w godzinach otwarcia Czytelni.

Telefoniczna rezerwacja miejsca do gry dla max. 6 osób na czas 2 godzin 25 740 51 04

Szczegółowy regulamin znajduje się na stronie:http://mbpmm.pl/o-nas/regulaminy/regulamin-czytelni

 MBP
 

Futsal - Turniej o Puchar Dyrektora ZSZ nr 2

Warsztaty genealogiczne "Skąd nasz ród?"

Bajki w pałacu

Jean de La Fontaine - Bajki, czyli co dwie głowy to nie jedna” - spektakl familijny.
8 lutego 2016r. godz. 10.30 i 12.30. Bilet w cenie 10zł (dziecko i jeden opiekun) do nabycia w MDK od 4 stycznia.


Do niezwykłego świata rymowanych wierszyków z morałem Jean de La Fontaine’a zaprasza nas Grzegorz Gierak, reżyser i autor przedstawienia „Bajki, czyli co dwie głowy to nie jedna.” O ile zabawne i pouczające bajki XVII-wiecznego mistrza w krótkiej odsłonie bronią się same, o tyle stworzenie z nich formy teatralnej wymaga wysiłku i pomysłowości. Reżyser wybrał spośród prawie 250 bajek francuskiego pisarza kilkanaście i otoczył je fabułą. 
Na teatralnej scenie, w muzycznej oprawie oraz zamkniętej, logicznej formie na nowo odkrywamy bajki znane z dzieciństwa, a młodsza widownia poznaje je poprzez dobrze skrojoną opowieść.

Grzegorz Gierak wciela się w postać autora, a w wyprawie po morał towarzyszy mu Halina Bednarz, w roli służki Michasi. Aktorzy doskonale się uzupełniają. Z pomocą strojów z epoki i skromnej, ale wymownej scenografii oddają świat bajek de La Fontaine’a skupiając uwagę widzów na słowie. Bo to słowo, gest, spojrzenie, tembr głosu, interpretacja tekstu i mimika twarzy wyraża to, o czym pisał wzorujący się na Ezopie Francuz. Bohaterami bajek Jean de la Fontaine’a są zwierzęta, w których jak w lustrzanym odbiciu widać ludzkie postawy, cechy i zachowania. To mini historie o fundamentalnych wartościach, jak przyjaźń, odwaga, odróżnienie dobra od zła i umiejętność życia w zgodzie z innymi. Spektakl daje wytchnienie, pozwala oderwać się od rzeczywistości i z dystansem spojrzeć na świat. „Bajki, czyli co dwie głowy to nie jedna” to ciepłe, pouczające familijne przedstawienie. 

scenariusz i reżyseria: Grzegorz Gierak
współpraca plastyczna: Małgorzata Gąsiorowska

wystąpią:
Michasia – Halina Bednarz
Jean de La Fontaine – Grzegorz Gierak
Głos – Tomasz Grochoczyński

opracowanie muzyczne: Mateusz Dębski

Ferie filmowe

Walentynki na lodowisku

Feryjny Turniej Piłki Nożnej

Tekno Live Show

Akcja „Podaruj książkę choremu dziecku”

Zespół Szkół Zawodowych nr 2 im. Powstańców Warszawy w Mińsku Mazowieckim dla dzieci w Szpitalu Powiatowym

    W grudniu 2015r. temu biblioteka szkolna ogłosiła zbiórkę książek dla najmłodszych pacjentów szpitala w Mińsku Mazowieckim. Akcja spotkała się z życzliwym odzewem uczniów, rodziców i nauczycieli ZSZ nr2. Zebraliśmy ponad 200 książek!

    Dnia 27 stycznia 2016 roku grupa uczniów, w obecności dyrektora Tomasza Płochockiego i pod opieką bibliotekarki Elżbiety Paluch, przekazała je oddziałowi dziecięcemu szpitala. Spotkaliśmy się z bardzo miłym przyjęciem przez lekarza dyżurnego Grzegorza Żukowskiego  i siostry oddziałowej  Beaty Niedziałkowskiej, którzy oprowadzili nas po salach małych pacjentów – przyszłych czytelników zebranych przez nas książek.

ZSZ nr 2

Humaniści przemycają wiedzę

Uczniowie klasy II d Liceum Ogólnokształcącego o profilu humanistyczno-lingwistycznym w Zespole Szkół Ekonomicznych w Mińsku Mazowieckim (Kinga Bartnicka, Kamila Widła, Alicja Wincenciuk, Sebastian Chłopik oraz Przemysław Malesa), pod kierunkiem nauczyciela języka polskiego Lidii Uchman, realizują projekt społeczny „Humaniści przemycają wiedzę”, organizowany w ramach ogólnopolskiej olimpiady „Zwolnieni z teorii” – start-upu społecznego Social Wolves. 
 
Cele projektu:
• zwiększenie świadomości językowej wśród młodzieży, dotyczącej etymologii oraz poprawności językowej;
• popularyzacja poprawnej polszczyzny 
w przystępny, ciekawy i humorystyczny sposób;
• przybliżenie wybranych zagadnień z historii 
Polski;
• zachęcenie uczniów do twórczych działań związanych z popularyzacja wiedzy;
• stworzenie uczniom możliwości nawiązania kontaktów z językoznawcami, nauczycielami 
i rówieśnikami w celu wymiany doświadczeń;
• doskonalenie umiejętności planowania działań, współpracy i odpowiedzialności.
 
 
Zaplanowane działania:
1) prowadzenie i aktualizacje profilu związanego 
z tematem projektu na Facebooku;
2) organizacja spotkania ze znanym językoznawcą;
3) wykonanie cyklicznej gazetki na korytarzu popularyzującej zagadnienia związane z językoznawstwem oraz polską historią;
4) prezentacja projektu na forum szkoły;
5) dokumentowanie i popularyzacja wykonanych działań;
6) przygotowanie naklejek z chwytliwymi hasłami i regułami językowymi;
7) organizacja konkursu w ramach projektu dla młodzieży z Mińska Mazowieckiego.
 
Patronaty: Burmistrza Marcina Jakubowskiego, Starosty Mińskiego Antoniego Jana Tarczyńskiego, Miejskiej Biblioteki Publicznej, Zespołu Szkół Ekonomicznych, Studium Języków Obcych, Firmy Edukacyjno-Wydawniczej „Elitmat”, Stowarzyszenia Kulturalno-Oświatowego Ścieżki Nieskończoności, Domu Naturalnego Rozwoju.
Patronat medialny: Tygodnik Mazowiecki „Nowy Dzwon”, dwutygodnik edukacyjny „Cogito”.
Przedsięwzięcie wspiera finansowo firma ROBOCLEAN Poland.
 
fot. z arch. ZSE

 

II EDYCJA „ LAMPIONADY”

  • Koszulka dla uczestników lampionady - przód
    Koszulka dla uczestników lampionady - przód
  • Koszulka dla uczestników lampionady - tył koszulki
    Koszulka dla uczestników lampionady - tył koszulki

Wildlife Photographer of the Year

III Powiatowy Test Wiedzy Ekonomicznej 2016

Zespół Szkół Ekonomicznych w Mińsku Mazowieckim zaprasza na III Powiatowy Test Wiedz Ekonomicznej 2016. 25 lutego 2016 roku o godz. 11.00. Zgłoszenia przyjmowane są drogą elektroniczną do 23 luego 2016 roku. 

UKS Probasket na turnieju "Dojlidy CUP III"

W dniach 29-31 stycznia drużyna koszykarzy rocznika 2002 UKS PROBASKET wzięła udział w bardzo mocno obsadzonym turnieju: "III Międzynarodowy Turniej Koszykówki Dojlidy Cup". Mińszczanie ostatecznie zajęli w nim 5 miejsce (na 12 drużyn), co patrząc na duże osłabienie kadrowe w jakim przystępowali (m.in. brak kapitana Ahmeda Kadira) można było obiektywnie uznać za dobre osiągnięcie.

Trenerzy podsumowując uznali jednak, że wynik ten pozostawia lekki niedosyt i przy większej odrobinie szczęścia drużyna UKS Probasket mogła nawet wygrać turniej.

Zaczęło się od starcia z faworytem turnieju, bardzo mocną drużyną MKS Dąbrowa Górnicza (jak się też okazało późniejszym zwycięzcą Dojlidy Cup). Prowadząc praktycznie przez całe spotkanie miński klub przegrywa jednak 48:58. Kolejny mecz to dosyć łatwe zwycięstwo z ekipą SPK Białystok 58:37. Mecz, który zadecydował o tym, że Probasket znalazł się poza strefą medalową to pechowa porażka jednym punktem z drużyną Basket Koszalin (59:60). Następne mecze to zwycięstwa z drużynami TSK Roś Pisz 82:52 oraz zwycięstwo w meczu o 5 miejsce przeciwko drużynie Piotrówka Radom 53:47.

Szkoleniowo turniej spełnił swoje zadanie, chłopcy ograli się i na pewno zebrali kolejne cenne doświadczenie. Z powodu nieobecności kilku kluczowych zawodników większy ciężar gry spoczął na innych, którzy to musieli wywiązywać się z boiskowych zadań w większym niż dotychczas stopniu. Generalnie trenerzy Probasketu przyznali, że turniej był doskonałym sportowym testem, bo tylko grając z najlepszymi drużynami w Polsce można robić stały postęp.

Oto komplet wyników:

  • MKS DĄBROWA GÓRNICZA - UKS PROBASKET MIŃSK MAZOWIECKI: 58:48
  • UKS PROBASKET MIŃSK MAZOWIECKI - SPK BIAŁYSTOK 58:37
  • BASKET KOSZALIN - UKS PROBASKET MIŃSK MAZOWIECKI 60:59
  • TSK ROŚ PISZ - UKS PROBASKET MIŃSK MAZOWIECKI 52:82
  • UKS PROBASKET MIŃSK MAZOWIECKI - PIOTRÓWKA RADOM 53:47

Ostateczna kolejność drużyn:

  1. MKS DĄBROWA GÓRNICZA
  2. ŻUBRY BIAŁYSTOK
  3. BASKET KOSZALIN
  4. MOSIR PRZEWORSK
  5. UKS PROBASKET MIŃSK MAZOWIECKI
  6. PIOTRÓWKA RADOM
  7. NOBLIŚCI WIELICHOWO
  8. TSK ROŚ PISZ
  9. MOSIR CIESZYN
  10. PARDAGUAVA RYGA
  11. SPK BIAŁYSTOK
  12. REGION GRODNO

Zdjęcia dostępne są tutaj: https://www.facebook.com/medi/set/?set=a.935386626532261.1073741837.107657369305195

oraz tu:

https://picasaweb.google.com/113107834113954657247/IIIMiedzynarodowyTurniejKoszykowkiDojlidyCupR2002290131012016

Sylwester Oszako
Prezes UKS Probasket Mińsk Mazowiecki

FIO - Mazowsze Lokalnie - nabór wniosków

Nabór wniosków na inicjatywy oddolne oraz wsparcie grup samopomocowych

Chcecie odnowić plac zabaw, oczyścić staw aby stał się wspólną przestrzenią mieszkańców? A może zorganizować koncert, festiwal czy po prostu czas wolny dla dzieciaków z osiedla? Młode organizacje pozarządowe, grupy nieformalne oraz samopomocowe od 5 do 26 lutego 2016 r. mogą składać wnioski w konkursie Funduszu Inicjatyw Obywatelskich – Mazowsze Lokalnie.  Uruchomione zostały dwie ścieżki działań – inicjatywy oddolne i wsparcie grup samopomocowych. Mikrodotacje wynoszą od 1 500 zł do 5 000 zł, a łączna kwota do rozdysponowania to 543 000 zł.

FIO-Mazowsze Lokalnie od trzech lat wspiera młode organizacje pozarządowe, grupy nieformalne i samopomocowe, dla których w tym roku powstała osobna ścieżka konkursowa. Powstał z inicjatywy trzech organizacji pozarządowych: Fundacji Fundusz Współpracy, Stowarzyszenia Europa i My oraz Stowarzyszenia Biuro Obsługi Ruchu Inicjatyw Społecznych BORIS.

Celem Programu jest zwiększenie zaangażowania obywateli w życie publiczne, szczególnie w małych społecznościach lokalnych, ale też małych wspólnot w dużych miastach, które mają ograniczony dostęp do zasobów materialnych, wiedzy czy innowacji. Skierowany jest do każdego, kto ma pomysł na działanie lokalne, kto widzi potrzebę zmian w swoim lokalnym środowisku, kto umie zarażać zaangażowaniem innych.

Jak to zrobić?

Wejść na stronę mazowszelokalnie.pl, tam znajdują się wszystkie potrzebne dokumenty i opracowania konkursowe: poradniki, regulamin, fiszki (wnioski), karta oceny fiszki, która wskazuje priorytety grantodawcy oraz karta oceny prezentacji.

Prezentacji? Tak. Ponieważ ocena wniosków na inicjatywy oddolne i wsparcie grup samopomocowych jest dwuetapowa. Po złożeniu wniosku poprzez generator wniosków na stronie www.mazowszelokalnie.pl, jest on oceniany niezależnie przez grupę ekspertów, po czym projekty, które zdobyły największą pulę punktów są prezentowane przed komisją w sześciu wybranych miastach województwa mazowieckiego: Płocku, Siedlcach, Ostrołęce, Radomiu, Warszawie oraz Grodzisku Mazowieckim.

Dodatkową pomocą służą Ambasadorzy programu FIO-Mazowsze Lokalnie (ponad 30 podmiotów), do których można się zwrócić w sprawie przedyskutowania pomysłu czy złożenie wniosku. Pełną listę Ambasadorów wraz z ich obszarem działania znajdą Państwo na stronie.

Jakie projekty otrzymują dofinansowanie?

W ramach ścieżki „inicjatywy oddolne”, projekty mieszczące się w sferze pożytku publicznego, które inicjują wspólne przedsięwzięcia na rzecz dobra wspólnego
w lokalnych społecznościach.

Komisja oceniająca wnioski będzie zwracać uwagę na cztery główne obszary jak: zaangażowanie lokalnej społeczności, wynikające z projektu dobro wspólne, forma projektowanych działań oraz ich trwałość i spójność.

W ramach ścieżki „wsparcie grup samopomocowych” wspierane będą takie projekty, które wnoszą nowe działania i nową jakość do prowadzonych działań. Nie będą finansowane typowe i stałe formy wsparcia dotychczas stosowane w danej grupie. Dzięki temu uczestnicy będą mogli podjąć inicjatywy, na które do tej pory nie mieli środków. Grupa samopomocowa rozumiana jest jako grupa ukierunkowana na pokonywanie problemu: chorób, problemów natury psychicznej albo socjalnej, które dotyczą bezpośrednio jej członków albo ich bliskich.

W 2015 - 3 tys. osób przy wsparciu 1800 wolontariuszy zrobiło 184 projekty w 36 powiatach dla ponad 36 tys. odbiorców.  Dołącz do tej grupy!

Więcej informacji na stronie www.mazowszelokalnie.pl

 

 

 

Weekend walentynkowy w GCK w Mrozach

Kino Mikroklimat proponuje:

Planeta singli 2 godz. 16 min.
12,13 lutego: godz. 19.00, bilety 15 zł

Moje córki krowy 1 godz. 28 min.
13 lutego: godz. 16.00, bilety 15zł

Rezerwacje biletów pod nr tel. 514 443 785 od 8 lutego w godz. 10.00 - 16.00

W ramach propozycji walentynkowych także spektakl teatralny "Dworzec" w wykonaniu grupy Parabuch w niedzielę 14 lutego o godz. 16.00.

Francuskie tete-a-tete

Fundacja Rozwoju Międzykulturowego EBU i Miejska Biblioteka Publiczna zapraszają młodzież i dorosłych na wieczór we francuskim stylu. O codziennym życiu, kulturze i zwyczajach swojej ojczyzny opowie wolontariuszka EVS - Marine. Pokaże też najpiękniejsze zakątki Francji i podpowie kiedy najlepiej się tam wybrać. Wieczór międzykulturowy jak zwykle będzie pełen interaktywnych atrakcji, a na publiczność będą czekały również tradycyjne smakołyki. 10 lutego 2016 roku godz. 19.00

 

 

72. rocznica aresztowania Janka Paruzela

Fundacja "Dziękujemy za Wolność" zaprasza 14 lutego 2016 roku na obchody 72. rocznicy aresztowania Janka Paruzela ps. "Wilk".

III Walentynkowy Bieg pod najstarszą sosną

Zapraszamy 14 lutego 2016 roku o godz. 10.00 do udziału w bezpłatnym biegu walentynkowym pod najstarszą sosną.

Zapraszamy fanów przedwojennej Warszawy

Jeśli fascynuje Was życie przedwojennej Warszawy, nie przegapcie spotkania z Grzegorzem Kalinowskim. 18 lutego o godzinie 18.30 zapraszamy na rozmowę z autorem intrygujących powieści z serii "Śmierć frajerom".
Powieść historyczna, szpiegowska, łotrzykowska, kryminał, romans, w tle międzywojenna Warszawa, Wilno, Śląsk, Zakopane, Piłsudski, Broniewski, Stanisław Ignacy Witkiewicz, Starzyński i... główny bohater Heniek Wcisło - najbardziej utalentowany wśród warszawskich kasiarzy.
Grzegorz Kalinowski, jak nikt dotychczas, ukazał kulisy przewrotu majowego i połączył wielką historię Polski z opisem życia w stolicy, gdzie niewysłowione bogactwo mieszało się z niewyobrażalną nędzą. Wszystkich fanów przedwojennej Warszawy zapraszamy na promocję książek "Śmierć frajerom" i "Złota maska" Wydawnictwa Muza.  


Miejska Biblioteka Publiczna w Mińsku Mazowieckim
05-300 Mińsk Mazowiecki
ul. Piłsudskiego 1a
tel. (25) 740-50-68
fax (25) 758-23-46
www.mbpmm.pl

Benefis Wenantego Macieja Domagały

1% na Hospicjum "Promyczek"

Zachęcamy do zapoznania się z trzema krótkimi filmami o Naszej pracy. Mamy nadzieję, że to przekona Państwa i zachęci do przekazania 1% na Hospicjum Promyczek.
Pierwsza część filmu mówi o idei powstania Hospicjum oraz pokazuje pracę zespołu hospicyjnego.
W drugiej części pokazani są Nasi podopieczni oraz dzieci wypisane, czyli ci pacjenci, którzy ulegli poprawie.
Trzecia część filmu poświęcona jest śmierci i żałobie czyli tym z czym jako pracownicy Hospicjum spotykamy się na co dzień. W tej części głównymi bohaterami są rodzice, którzy stracili dzieci i przeżyli żałobę oraz ich aniołki (zmarłe dzieci). 
Życzymy miłego, choć czasem trudnego oglądania.

Film część 1
https://www.youtube.com/watch?v=vaTDfdyjPaQ

Film część 2
https://www.youtube.com/watch?v=0MBdxSygKCc

Film część 3
https://www.youtube.com/watch?v=fZX3by2LYTQ

W imieniu naszych małych podopiecznych dziękujemy bardzo za zainteresowanie nasza działalnością.

http://hospicjumpromyczek.pl/

https://www.facebook.com/hospicjumpromyczek

Dzień otwarty w szkołach podstawowych

Darmowe zajęcia fitness dla mieszkańców Mińska Mazowieckiego

KS Atletic Mińsk Mazowiecki, MOSiR  Mińsk Mazowiecki oraz Miasto Mińsk Mazowiecki zapraszają na darmowe zajęcia fitness dla mieszkańców naszego miasta. Trening odpowiedni dla każdego bez względu na poziom wytrenowania. Zajęcia są z podziałem na grupy kobiet i mężczyzn. Ilość miejsc ograniczona. Zapewniamy 15 mat do ćwiczeń. Jeżeli posiadasz swoją matę, gorąca prośba, abyś zabrał/a ją ze sobą. Dodatkowo trener udzieli osobom zainteresowanym wskazówek dotyczących planu treningowego lub podpowie co jeść i jak jeść, żeby uzyskać wymarzoną formę.
Wstęp wolny. Startujemy 20 lutego 2016 roku.
Zapraszamy!!

Wiersze Edgara Lee Mastersa w MDK

Czerwony Kapturek

Teatr Po Godzinach - CZAROWNICE

Wystawa satyrycznych rysunków w MDK

Spektakl dla dzieci "Wędrowniczka Sara"

„Międzykulturowa Liga Mistrzów”

„Międzykulturowa Liga Mistrzów”, czyli Koleżeński Turniej Piłki Halowej w Hiszpańskim Stylu to wydarzenie, które promuje zdrowe i tolerancyjne zachowania sportowe wśród młodzieży oraz jest okazją do spędzenia miłego, rodzinnego popołudnia w międzykulturowej atmosferze. Pomysłodawczynią turnieju jest Sara Núñez Torrado – hiszpańska wolontariuszka EVS z Fundacji Rozwoju Międzykulturowego EBU, która na co dzień jest trenerką piłki nożnej oraz wielokrotnie organizowała turnieje piłkarskie w Galicji. Do udziału w rozgrywkach Sara zaprosiła młodzież gimnazjalną z czterech szkół na terenie miasta Mińsk Mazowiecki. Uczniowie mogli samodzielnie tworzyć koleżeńskie drużyny w dwóch kategoriach: „chicas”, czyli dziewczęta oraz „chicos”, czyli chłopcy, a nazwy drużyn wybierali spośród drużyn zagranicznej ligi przypisanej danej szkole. Te i inne międzykulturowe elementy nadają wydarzeniu ciekawy i niepowtarzalny charakter. W okresie ferii zimowych zgłoszone drużyny mogły uczestniczyć w treningach prowadzonych przez Sarę w poszczególnych szkołach.

„Międzykulturowa Liga Mistrzów” odbędzie się w terminie 19, 20 i 21 lutego na hali sportowej przy Gimnazjum Miejskim nr 2 im. Jana Pawła II w Mińsku Mazowieckim. W turnieju weźmie udział 27 zgłoszonych drużyn, reprezentując zagraniczne ligi:

- liga hiszpańska (Gimnazjum Miejskie nr 2 im. Jana Pawła II)

- liga angielska (Gimnazjum Miejskie nr 3 im. Janusza Kusocińskiego)

- liga francuzka (Gimnazjum Miejskie nr 1 im. Gen. Władysława Andersa)

- liga włoska (Gimnazjum i Liceum Ogólnokształcące im. Polskiej Macierzy Szkolnej).

W piątek i sobotę odbędą się eliminacje. W niedzielę będzie można obejrzeć ćwierćfinały, półfinały oraz mecze finałowe. Wydarzenie zostanie zrealizowane w ramach projektu Wolontariatu Europejskiego „SKY IS THE LIMIT” organizowanego przez Fundację Rozwoju Międzykulturowego EBU, a finansowanego z programu Erasmus+.

Turniej nie jest oparty na rywalizacji między szkołami, chodzi przede wszystkim o towarzyską grę, dobrą zabawę oraz ciekawą formę spędzenia wolnego czasu. Ponadto wydarzenie to integruje i aktywizuje lokalną społeczność. Sara zaangażowała w „Międzykulturową Ligę Mistrzów” przedstawicieli zarówno samorządów oraz instytucji i placówek publicznych, jak i prywatnych firm. Do udziału w różnych rolach zaprosiła młodzież, dzieci i dorosłych. A zadań i sposobów na włączenie się w wydarzenie jest wiele. Można na przykład w sobotę lub niedzielę przynieść paczkę produktu spożywczego i otrzymać specjalny bilecik „RIFA”. Wszystkie zebrane produkty zostaną przekazane osobom potrzebującym, a na każdego posiadacza bileciku „RIFA” będą czekać miłe niespodzianki. „RIFA” to nieodłączna część hiszpańskich turniejów sportowych i w ten sposób Sara stara się również przekazać elementy swojej kultury.

Niewątpliwą atrakcją niedzielnego popołudnia oraz momentem kulminacyjnym turnieju będzie mecz nazwany po hiszpańsku „Final Diversion”. Zwycięskie drużyny obu kategorii połączą siły i zagrają w ostatecznej rozgrywce z Niepowtarzalną Reprezentacją Miasta Mińsk Mazowiecki, w której wystąpią Burmistrz Miasta, Dyrektor Miejskiej Biblioteki Publicznej, dyrektorzy i nauczyciele szkół gimnazjalnych oraz koordynatorka wydarzenia - Sara.

Wolontariusze EVS goszczeni przez Fundację EBU wpisują się już w dynamikę naszego miasta, proponując mieszkańcom w różnym wieku ciekawe wydarzenia i akcje międzykulturowe. Fundacja EBU wspiera ich inicjatywy i pomaga na każdym etapie realizacji. Największą radością i satysfakcją dla wolontariuszy jest jednak liczny i pozytywny odbiór ze strony lokalnej społeczności. Dlatego gorąco zapraszamy całe rodziny na udział w „Międzykulturowej Lidze Mistrzów”. Rozgrywki oraz wyniki można śledzić na stronie 

https://www.facebook.com/MiedzykulturowaLigaMistrzow/

Walentynki na Lodowisku - relacja

W dniu 14 lutego na Lodowisku Miejskim przy ul. Wyszyńskiego 56 pięć zakochanych par świętowało razem z MOSiR Walentynki na Lodowisku! Drużyny rywalizowały w siedmiu konkurencjach sportowo-rekreacyjnych z przymrużeniem oka, tj. zakładanie/zdejmowanie ringo z pachołków ułożonych w kształcie serca, nawlekanie koralików – konkurencja dla panów, tor z zamkniętymi oczami, wyciskanie sztangi, slalom z kijem hokejowym, rzutki oraz quiz „Jak dobrze się znacie?”. Walentynki na Lodowisku to zabawa sportowo rekreacyjna, której rokrocznie przewodzi dobry humor i mnóstwo uśmiechu! Tego dnia liczy się dobra zabawa przy nastrojowej muzyce w doborowym towarzystwie ukochanych, przyjaciół czy znajomych. Do wygrania były vouchery na kolacje w Restauracji Zwyczajna, które wyślizgali sobie Państwo Anna i Piotr Padzikowie, Pani Agnieszka i Martyna Rozwadowskie oraz Pani Iga Woźnica i Piotr Kopka pozostałe pary otrzymały symboliczne serca, które będą przypominać wspaniałą zabawę! Warto dodać, iż pracownicy MOSiR również otrzymali swoją walentynkę od kreatywnego małżeństwa Padzików, którzy przygotowali napis na plecach „Kocham MOSiR”! Dziękujemy Was bardzo! Składamy również serdeczne podziękowania wszystkim parom za mile spędzony czas oraz życzymy dużo miłości nie tylko od święta, ale każdego dnia!

Spotkanie z Maciejem Krupą

12 lutego do świata zakopiańskich tajemnic zabrał nas Maciej Krupa, autor książki „Kroniki zakopiańskie”. Licznie przybyła publiczność z przyjemnością wysłuchała historii o wyjątkowej miejscowości, jaką jest Zakopane i o ludziach, których losy wpłynęły na piękno i kulturę tego zakątka. Autor wspominał między innymi Helenę Modrzejewską, Witkiewicza i Witkacego. Dzięki obecności w bibliotece Macieja Krupy, zdołaliśmy poznać choć niektóre opowieści, legendy i wspomnienia związane z tym szczególnym punktem na mapie. Następnie uczestnicy spotkania mieli możliwość zdobyć autograf i porozmawiać z autorem kronik, a na koniec miłośnicy gór skosztowali tradycyjnego oscypka z dodatkiem żurawiny. 

MBP

VI Grand Prix Mińska Mazowieckiego w Pływaniu

Grand Prix Traktu Brzeskiego 2016

​​

gptraktu_brzeskiego.jpg

Grand Prix Traktu Brzeskiego to cykl imprez biegowych, rozgrywanych w miejscowościach położonych przy historycznym Trakcie Brzeskim, bądź w jego pobliżu. Pierwsza edycja Grand Prix Traktu Brzeskiego została przyjęta z dużym entuzjazmem w środowisku biegaczy i uznana za sukces organizacyjny, co zaowocowało kolejną edycją o rozbudowanej formule.

W 2016 roku Grand Prix Traktu Brzeskiego odbędzie się w pięciu miejscowościach, a do cyklu zaliczone zostały następujące biegi:

Wiązowna – 28. lutego, dystans: 21,097 km i 5 km
Mińsk Mazowiecki – 29. maja, dystans: 15 km i 5 km
Biała Podlaska – 12. czerwca, dystans: 15 km i 10 km
Platerów – 26. czerwca, dystans: 10 km
Siedlce – 28. sierpnia, dystans: 21,097 km i 5 km (Finał GPTB)

Wszystkie biegi cyklu odbywają się po nawierzchni asfaltowej, a trasy posiadają atest PZLA.

Formuła Grand Prix wymaga zaliczenia przez zawodnika każdego z dystansów, tj. 5 km, 10 km, 15 km i 21,097 km podczas dowolnie wybranej imprezy. Za ukończenie piątego biegu, zostaną przyznane dodatkowe punkty.

 Więcej na stronie http://gptb.pl

Wizyta pierwszego mińszczanina urodzonego w 2016 roku

 „Narodziny dziecka zawsze wzruszają i są wielkim wydarzeniem dla całej rodziny. Chwila ta tym bardziej zapada w pamięć, jeśli maleństwo przychodzi na świat jako pierwsze w danym roku.” – napisał Burmistrz Marcin Jakubowski w liście gratulacyjnym dla państwa Doroty i Roberta Rokickich, którym 2 stycznia w mińskim szpitalu na świat przyszedł syn Jan – pierwszy mińszczanin urodzony w 2016 roku.

Z tej okazji we wtorek, 16 lutego, burmistrz Marcin Jakubowski zaprosił nowego mieszkańca i jego rodziców do Urzędu Miasta, gdzie wręczył prezenty, wśród których znalazł się m.in. bon podarunkowy o wartości 300 zł ufundowany przez panią Hannę Golec właścicielkę Specjalistycznego Sklepu Dziecięcego TIK-TAK oraz bon podarunkowy o wartości 200 zł ufundowany przez państwa Annę i Andrzeja Świderskich właścicieli sklepu z zabawkami Toy Planet Mińsk Mazowiecki.

Jan jest trzecim dzieckiem państwa Rokickich, a ma jeszcze starsze rodzeństwo, braci: Antosia (7 lat) i Mikołaja (4 lata).

Szczęśliwym rodzicom gratulujemy, a małemu Jankowi życzymy beztroskiego i zdrowego dzieciństwa oraz wiele miłości i radosnych dni.

  • autor: A.Cichoń

Narodowy Dzień Pamięci Żołnierzy Wyklętych w Mińsku Mazowieckim

IV Obchody Narodowego Dnia Pamięci Żołnierzy Wyklętych w Mińsku Mazowieckim

Narodowy Patronat Prezydenta Rzeczypospolitej Polskiej Andrzeja Dudy

Harmonogram:

1. Przegląd Filmów „Bohaterowie Wyklęci” 

 Miejska Biblioteka Publiczna - 1 i 2 marca godz. 18:30


2. Odsłonięcie głazu poświęconego Danucie Siedzikównie ps. „Inka”

 Zespół Szkół Salezjańskich w Mińsku Mazowieckim - 1 marca, godz. 11:00 


3. Msza Święta w intencji „Żołnierzy Wyklętych” 

Kosciół p.w. NNMP w Mińsku Mazowieckim -  1 marca,  godz. 18.00

Fotografia Dzikiej Przyrody

Muzeum Ziemi Mińskiej od kilku lat prezentuje wystawę prac fotograficznych nagrodzonych w międzynarodowym konkursie „Fotografia Dzikiej Przyrody – Wildlife Photographer of the year” organizowanym przez Natural History Museum w Londynie. W miniony piątek 12 lutego br. o godz. 18.00 w siedzibie Muzeum odbył się wernisaż wystawy. Zgromadzone prace można oglądać do 6 marca w godzinach pracy muzeum.

Monika Roguska

Koncert Pasyjny

"Okno na świat"

Dni Dawcy Szpiku

Partnerzy dużej rodziny

Jubileusz 100–lecia urodzin Pani Marianny Tybory

2 lutego br. swoje setne urodziny obchodziła mieszkanka Mińska Mazowieckiego Pani Marianna Tybora.

100 lat życia to piękna i długa historia, na którą składają się cenne doświadczenia i piękne chwile. Z tej okazji 16 lutego Dostojną Jubilatkę odwiedzili Burmistrz Miasta Mińsk Mazowiecki Marcin Jakubowski, zastępca Kierownika Urzędu Stanu Cywilnego Iwona Stawska oraz przedstawiciele Kasy Rolniczego Ubezpieczenia Społecznego w Mińsku Mazowieckim. W czasie uroczystej wizyty Jubilatce towarzyszyła córka Elżbieta.

Wręczając bukiet kwiatów i urodzinowy tort, burmistrz  złożył Pani Mariannie serdeczne gratulacje z okazji tak wspaniałego Jubileuszu oraz życzenia zdrowia, radości każdego dnia oraz miłości bliskich i wielu następnych lat szczęśliwego życia.

Uroczystość przebiegła w miłej atmosferze, nie zabrakło rodzinnych wspomnień i wspaniałych opowieści. Receptą na długowieczność, zdaniem Pani Marianny, jest czas wypełniony codzienną pracą i czerpanie radości z każdego dnia.

Życzymy Dostojnej Jubilatce długich lat życia w jak najlepszej kondycji, wielu jubileuszy, pogody ducha i radości.

 

  • autor: A. Ryszawa

„Rodzę – Mam prawa”

W ramach kampanii „Rodzę – Mam prawa” Fundacja Rodzić po Ludzku organizuje ogólnopolski cykl spotkań lokalnych dla kobiet. W prawie 70 miejscach w Polsce w jednym tygodniu marca kobiety będą się edukować w zakresie swoich praw i dzielić doświadczeniami.

Wydarzenie jest częścią najnowszej kampanii Fundacji: „Chcemy, żeby kobiety w Polsce wiedziały, że wg prawa mogą rodzić w zgodzie z własnymi potrzebami” mówią jej reprezentantki.

Wg prawa kobieta może wybrać, kto będzie jej towarzyszył w szpitalu. Przygotowany przez nią plan porodu, czyli plan oczekiwań i potrzeb, powinien być wspólnie omówiony z personelem medycznym i wzięty pod uwagę. Wskazane jest, aby położna i lekarz zachęcali kobietę do swobodnej aktywności i poruszania się. Ważne jest również to, aby proponować jej różne metody łagodzenia bólu, wspierać ją emocjonalnie i traktować życzliwie. Po porodzie kobieta i dziecko mogą przez dwie godziny przytulać się do siebie w kontakcie  „ciało do ciała”, a potem otrzymywać rzetelne rady dot. karmienia piersią. Co ważne, a często pomijane, położna środowiskowa ma odwiedzić kobietę po porodzie w domu cztery razy, wspierać ją i udzielać pomocnych wskazówek.

W spotach kampanii „Rodzę – Mam prawa” słyszymy: „Nowoczesne Standardy Opieki Okołoporodowej pomagają wrócić do tego, co naturalne i instynktowne, przypominając, że to Ty znasz swoje ciało najlepiej. To samo ciało, które od zawsze potrafiło całować, od zawsze wie, jak urodzić.”

Lokalne Organizatorki z całej Polski w tygodniu 7-13 marca 2016 zaprezentują kobietom w całej Polsce najważniejsze zapisy Standardów Opieki Okołoporodowej, poprowadzą warsztaty oraz zaplanują różne formy aktywności w ramach spotkań. Informacje o wszystkich wydarzeniach pojawią się na stronie www.rodzicpoludzku.pl

Ambasadorką kampanii jest Celina Szwinta, położna i podróżniczka, współautorka bloga www.coztegozedaleko.pl

Kampanię objął patronatem honorowym Minister Zdrowia, Rzecznik Praw Pacjenta oraz Pełnomocniczka Rządu ds. Równego Traktowania.  Patroni medialni to Magazyn Dziecko oraz Tygodnik Powszechny.

Osoba do kontaktu: Marta Siwińska, tel. 501 050 774, kontakt@doulamarta.pl

W naszym regionie spotykamy się 10 marca 2016 w godzinach 17:00-19:00 (maksymalnie do 20:00 w zależności od rozwoju dyskusji), w kawiarni FiliżAnka, ul. Kilińskiego 37 w Siedlcach.

 

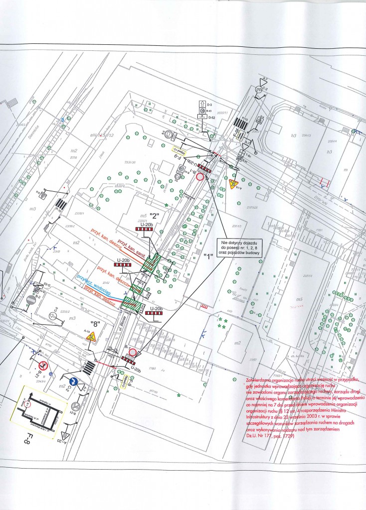
Czasowa organizacja ruchu w pasie drogowym ul. Błonie

Czasową organizację ruchu do 22 lutego wprowadza się w związku z budową przyłączy wodociągowego, kanalizacji sanitarnej i deszczowej metodą wykopu otwartego. Prace zostaną wykonane zgodnie z opracowaną dokumentacją wykonawczą.

Czasowa organizacja ruchu - Założenia ogólne: 

Roboty drogowe będą się odbywać w pasie drogowym ul. Błonie, obejmującej jej całą szerokość jezdni o planowanych wym. ok. 8,4m x 4,2m, 5,5m x 9,2m i 5,5m x 3,0 m w celu wykonania przyłączy wodociągowego i kanalizacji sanitarnej i deszczowej w jednym etapie. Utrudnienia i zagrożenia związane z prowadzonymi robotami wystąpią w postaci zamknięcia części odcinka ulicy Błonie dla ruchu pojazdów na odcinku od ul. Dąbrówki do łącznika pomiędzy ulicą Błonie oraz wyznaczeniem tymczasowych objazdów w związku z prowadzonymi robotami. Szczególne utrudnienia i zagrożenia nie występują. Cały zakres robót zostanie zabezpieczony w postaci jednego etapu czasowej organizacji ruchu obowiązującej w ciągu około 3-4 dni, w których będą prowadzone i wykonywane roboty. Objazd został wyznaczony następującymi ulicami od ul. Błonie przez Rodziny Nalazków, 1 PLM Warszawa, Cichą, Dąbrówki oraz przez drogę wewnętrzną. Schemat przebiegu trasy objazdu przedstawia załączony do projektu plan sytuacyjny z tablicą F-8. Ulica posiada uzbrojenie terenu w sieci: wodociągową, kanalizacyjną, gazową, energetyczną, telekomunikacyjną.

Święto siatkówki w GM nr 1

18 lutego Siatkarski Ośrodek Szkolny z Gimnazjum Miejskiego nr 1 przy ulicy Kopernika zorganizował Dzień Akademii S.O.S. Mińsk Mazowiecki pod honorowym patronatem burmistrza Marcina Jakubowskiego. Celem spotkania było promowanie siatkówki jako formy spędzania czasu wolnego oraz zachęcenie dziewcząt ze szkół podstawowych do podjęcia treningu sportowego w Siatkarskim Ośrodku Szkolnym.

O godz. 9.00 wydarzenie rozpoczęła wicedyrektor GM nr 1 Iwona Dróżdż, witając przedstawicieli szkół wchodzących w skład Akademii S.O.S. tj. SP nr 1,SP nr 2, SP nr 5 i SP nr 6 z Mińska Mazowieckiego i gościa specjalnego Marcina Prusa - mistrza polskiej siatkówki. Następnie głos zabrał Ambasador mińskiej Akademii S.O.S. Adam Cichoń, przedstawiając historię siatkówki w naszym mieście.

Głównym punktem programu było spotkanie z Ambasadorem projektu Siatkarskich Ośrodków Szkolnych i wielokrotnym reprezentantem Polski w piłce siatkowej Marcinem Prusem. Zebrana publiczność z zainteresowaniem słuchała słów mistrza jak ważna w życiu dziecka jest aktywność fizyczna. Pokazywane przez zawodowego siatkarza medale z międzynarodowych zawodów niesamowicie działały na wyobraźnię młodych siatkarek. Oczywiście nie zabrakło czasu na autografy i wspólne zdjęcia z mistrzem.

Ostatnim punktem programu był Turniej Akademii S.O.S. o Puchar Burmistrza Miasta Mińsk Mazowiecki. Do rywalizacji przystąpiło ponad 50 dziewcząt ze szkół podstawowych z terenu miasta. Rozgrzewkę przedmeczową przeprowadził wraz z zawodniczkami pan Marcin Prus. Role sędziów pełniły dziewczęta z klasy sportowej GM1. Turniej odbywał się w miłej i sportowej atmosferze a każdy mecz bez względu na wynik kończył się wzajemnym podaniem rąk pod siatką. Po rozegraniu wszystkich spotkań puchar za zwycięstwo z rąk Burmistrza Miasta Mińsk Mazowiecki Marcina Jakubowskiego otrzymały dziewczęta ze Szkoły Podstawowej nr 6. Każda uczestniczka zawodów dostała pamiątkową koszulkę, zaś trzy najlepsze drużyny dodatkowo nagrodzono medalami.  Najlepszą zawodniczką turnieju została Wiktoria Jakubowicz z SP 6.

Obchody święta siatkówki w Mińsku Mazowieckim zakończyły się wspólnym zdjęciem oraz zachęceniem dziewcząt z klas szóstych do podjęcia treningu siatkarskiego w klasach sportowych w Siatkarskim Ośrodku Szkolnym przy Gimnazjum nr 1 w Mińsku Mazowieckim.

Trenerzy S.O.S. Mińsk Mazowiecki
Marcin Szulc i Michał Bogusz

Informacja Burmistrza Miasta o przetargu

Informuję, że ogłosiłem drugi przetarg ustny nieograniczony na sprzedaż niezabudowanej działki gruntu Nr 871/6 o powierzchni 1034 m2 położonej w Mińsku Mazowieckim przy ul. Parkowej, stanowiącej zgodnie z księgą wieczystą Nr SI1M/00048193/2 własność Miasta Mińsk Mazowiecki.

"Śmierć frajerom" w Miejskiej Bibliotece Publicznej

18 marca, gościem biblioteki był Grzegorz Kalinowski – autor serii książek „Śmierć frajerom”. Dotychczas ukazały się już dwa tomy, opisujące losy kasiarza Henryka Wcisło, które znakomicie oddają klimat międzywojennej Warszawy i życie ówczesnej społeczności. Książki pokazują topografię miasta, a ich fabuła jest mocno zakorzeniona w polskiej historii. W twórczości Grzegorza Kalinowskiego znajdziemy elementy charakterystyczne dla powieści sensacyjnej i szpiegowskiej. Autor podczas spotkania zapewniał, że międzywojenna Warszawa miała wiele twarzy. Była piękna, ale miała także ciemne strony, biedne osiedla, miejsca, do których lepiej było nie zaglądać. Wszystkich, którzy mają chęć przenieść się w tamten czas i poczuć ten niezwykły klimat zachęcamy do lektury.

Na koniec spotkania, na tle dekoracji w stylu retro, nasi goście mieli okazję porozmawiać z autorem i otrzymać jego autograf. Dla uprzyjemnienia wieczoru, na wszystkich przybyłych czekały monety i banknoty… czekoladowe! 

MBP

Informacja Burmistrza Miasta o przetargu

Informuję, że na dzień 10 maja 2016 r. ogłosiłem przeprowadzenie piątego przetargu ustnego nieograniczonego na sprzedaż niezabudowanej działki gruntu Nr 1970 o powierzchni 425 m2 , położonej w Mińsku Mazowieckim przy ul. Józefa Piłsudskiego 2, stanowiącej zgodnie z księgą wieczystą Nr SI1M/ 00117031/4 własność Miasta Mińsk Mazowiecki .

Zawodnicy Judo KONTRA w natarciu

20 lutego w Mysiadle k/Piaseczna odbyły się Otwarte Mistrzostwa Mazowsza Juniorów/Juniorek Młodszych w judo. Z UKS Judo KONTRA startowało 5 zawodników. Złote medale zdobyły: Aleksandra Polkowska, 48kg, Przyczyna Katarzyna - 52kg. Srebrny medal zdobyła młodzoczka Wiktoria Zalewska - 63kg. Na IV miejscu uplasowała się Dominika Adamczyk - 57kg. Na IX miejscu w kategorii wagowej 73kg znalazł się Patryk Pszonka.

21 lutego także w Mysiadle odbyła się I Liga Warszawskiej Olimpiady Maluchów Funny Judo 2016, w której złoty medal wywalczył Mateusz Kowalski, rocznik 2008, kategoria wagowa 26kg. Złoty medal w kategorii wagowej do 31 kg wygrywając wszystkie cztery walki na ippon zdobył Piotr Marczak, rocznik 2007.

Trener młodych zawodniczek i zawodników, Zdzisław Wiącek,  jest zadowolony ze startów swoich podopiecznych w pierwszych zawodach organizowanych przez Warszawsko Mazowiecki Związek Judo.

Zapraszamy młodych, ambitnych kandydatów na mistrzów judo na treningi.
Kontakt: 511 896 399

Zdzisław Wiącek Trener Judo II klasy, III DAN
Uczniowski Klub Sportowy Judo KONTRA
05-300 Mińsk Mazowiecki
ul. Budowlana 12
tel. 511 896 399
www.judokontra.org.pl

 

 

Pojedynki zawodników GRAPPLERA

Grappler na Gali MMA w Giżycku

W sobotę 20 lutego dwóch reprezentantów Klubu Walki Grappler toczyło swoje pojedynki na Mazurskiej Nocy Gladiatorów – gali MMA w Giżycku.

Walki odbywały się w klatce, a jako pierwszy stanął w niej Daniel Rozenek. Walka odbyła się w formule MMA – 80kg. Od samego początku walka była bardzo wyrównana, widać było, że nasz zawodnik jest technicznie lepiej przygotowany. Niestety przewaga siły była na korzyść przeciwnika i po 3 rundach, sędziowie wskazali zwycięzcę miejscowego klubu Fighter Giżycko stosunkiem 2 do 1.

Kamil Kublik pojawił się w klatce jako drugi. Walka odbyła się w formule MMA 67kg. To był kolejny zawodowy występ naszego reprezentanta. Pierwsza runda okazała się być ostatnią dla przeciwnika z Giżycka. Kamil pokazał się z bardzo dobrej strony, początkowo walka odbywała się w stójce, jednakże nie trwało to zbyt długo. Nasz zawodnik sprowadził przeciwnika do parteru, a następnie wpiął się za plecy i za drugą próbą poddał przeciwnika przez mataleo! Przeciwnik nie miał żadnych szans i musiał się poddać.

Zawodnicy Grapplera pokazali się z bardzo dobrej strony i to co najważniejsze dali bardzo dobre walki. Ogromne gratulacje dla nich!

Wielkie podziękowania za wsparcie dla narożnika trenera Eugeniusza Charzewskiego oraz Marcina Gałązki, który już 19 marca wystąpi na jednej z największych gal w Polsce i Europie FEN na warszawskim Torwarze. Zapraszamy do kibicowania!

 

Grappler na Mistrzostwach Dzieci w Jiu-Jitsu Katana Cup

20 lutego podopieczni trenera Klubu Walki Grappler Marcina Frankiewicza wyruszyli wczesnym rankiem na podbój Warmii i Mazur, a dokładniej do miejscowości Rudka nieopodal Szczytna, gdzie odbywały się Otwarte Mistrzostwa Dzieci w Jiu-Jitsu Katana Cup.

W zawodach wzięła udział 24-osobowa ekipa najmłodszych grapplerów z Mińska Mazowieckiego, Jakubowa i Dobrego, a także kilkuosobowa reprezentacja zaprzyjaźnionego Klubu Jiu- Jitsu  Ruda pod okiem Adama Żukowskiego.

Jak przystało na małych wojowników, walki na matach były emocjonujące i zacięte.

Regularne treningi dały efekty, które przełożyły się na ponad 90%  skuteczność i zdobycie medali oraz nagród. Rywalizacja o podium odbyła się także między samymi grapplerami, dając tym samym jednocześnie trzy miejsca na podium w kategorii dziewczynek + 40kg oraz dziewczynek – 40kg.

Niektórzy zaliczyli swoje pierwsze starty, inni zdobyli kolejne cenne doświadczenia, które na pewno zaprocentują kolejnymi sukcesami w przyszłości.

Marcin Frankiewicz jest dumny ze swoich wychowanków, jednocześnie składa podziękowania dla rodziców za pomoc w organizacji wyjazdu.

Jednego możemy być pewni, Grappler rośnie w siłę!

Już 12 marca kolejna duża ogólnopolska impreza sportowa organizowana przez KW Grappler – III Grand Prix w BJJ dla dzieci, młodzieży i dorosłych. Zapraszamy!

Wyniki:

  1. Antek Rosa -1 miejsce
  2. Patryk Kesler -1 miejsce
  3. Wiktoria Klepacka -1miejsce
  4. Anna Mórawska 1-miejsce
  5. Andrzej Frankiewicz – 2 miejsce
  6. Damian Wieczorek – 2 miejsce
  7. Martyna Bodecka - 2 miejsce
  8. Filip Kosut – 2 miejsce
  9. Oliwier Szczęsny - 2 miejsce
  10. Sara Sękowska – 2 miejsce
  11. Błażej Woźnica – 3 miejsce
  12. Kuba Adamczyk – 3 miejsce
  13. Zuzanna Królak – 3 miejsce
  14. Paulina Królak – 3 miejsce
  15. Natalia Wolińska – 3 miejsce
  16. Krystian Woliński – 3 miejsce
  17. Konstanty Cyran – 3 miejsce
  18. Antek Sikora – 3 miejsce
  19. Przemek Pląsek – 3 miejsce
  20. Alex Sitek – 4 miejsce
  21. Kuba Pytkowski – 4 miejsce
  22. Paweł Adamczyk – 5 miejsce

Klub Walki Grappler

Wielkopostny Dzień Skupienia dla Nauczycieli

Miasto zatrudni ekspertów

Biegaj z Dreptakami 2016

Międzykulturowa Liga Mistrzów

Ostatni moment na złożenie wniosku

Rozpoczął się ostatni tydzień zbierania wniosków w ramach konkursu FIO-Mazowsze Lokalnie na ścieżkę inicjatywy oddolne i wsparcie grup samopomocowych. Do 26 lutego, do godziny 15:00 poprzez generator wniosków na stronie www.mazowszelokalnie.pl można złożyć wniosek o dofinansowanie swoich pomysłów i działań. Kwota przeznaczona na obie ścieżki wynosi 543 000,00 zł, z czego pojedyncza mikrodotacja to dofinansowanie w wysokości od 1 500,00 zł do 5 000,00 zł.

Dlaczego ten konkurs jest tak wyjątkowy?

- Niewiele jest konkursów gdzie o dofinansowanie mogą się starać grupy nieformalne. Nigdzie nie zarejestrowane, nie mające za sobą historii wspólnego działania – mówi Daniel Prędkopowicz, koordynator projektu. - Takie grupy to ludzie z najlepszą diagnozą potrzeb ze swojego lokalnego środowiska. Często jest tak, że widzą problem i po prostu chcą z nim coś zrobić – wyremontować plac zabaw, stworzyć miejsce spotkań dla okolicznych mieszkańców, posprzątać zaniedbany teren, pokazać nową formę spędzania czasu razem dla dzieci, młodzieży, dorosłych. Nie stoi za nimi żadna organizacja, nie mają doświadczenia ubieganiu się o środki, ale mają bardzo dużą motywację do zrobienia czegoś dobrego. I najczęściej to im się udaje, a efekty przekraczają założone cele – dodaje.

Program Fundusz Inicjatyw Obywatelskich – Mazowsze Lokalnie to trzyletni program, którego operatorem są trzy organizacje pozarządowe: Fundacja Fundusz Współpracy, Stowarzyszenie Europa i My oraz Biuro Obsługi Rozwoju Inicjatyw Społecznych BORIS . Rok 2016 to trzecia edycja programu, w którym to tej pory, tj. od 2014 roku dofinansowanie otrzymało 317 działań z większości powiatów w województwie mazowieckim. 

W tym roku została utworzona nowa ścieżka dedykowana nieformalnym grupom samopomocowym. Taka decyzja to wynik doświadczeń z poprzednich lat. – Grupy samopomocowe nie realizują działań na szeroką skalę. Ich celem jest aktywne działanie skierowane na pokonywanie chorób, problemów natury psychicznej albo socjalnej, które dotyczą ich bezpośrednio albo ich bliskich – mówi Jacek Ostrowski z Fundacji Fundusz Współpracy. – Osoby spotykają się właśnie w wyniku potrzeby wsparcia, mówienia o wspólnym problemie, szukania rozwiązania, po prostu bycia razem w trudności. Aby przełamać jakiś impas, dać bodziec do działania. Można powiedzieć, że celem ich wspólnej pracy jest zmiana osobistych warunków życia.

O dofinansowanie mogą się ubiegać także młode organizacje pozarządowe – czyli takie, które mają mniej niż 18 miesięcy od momentu zarejestrowania.

Wszystkich niepewnych, wątpiących „czy to dla mnie”, chcących skonsultować swój pomysł zapraszamy do zapoznania się z poradnikiem oraz regulaminem konkursu dostępnym na stronie www.mazowszelokalnie.pl. Zachęcamy bardzo  do udziału w spotkaniach organizowanych w całym województwie, których lista jest także dostępna na stronie www, a także do kontaktu przez e-mail: kontakt@mazowszelokalnie.pl, infolinię dostępną od poniedziałku do piątku w godz. 10-15 pod nr. tel.: 0-801 055 100 lub 22 450 98 73 oraz przez facebook: www.facebook.com/mazowszelokalnie.  

„Środa z Funduszami dla przedsiębiorstw na rozwój”

VI Grand Prix w Pływaniu

W dniu 21 lutego w Aquaparku Miejskim przy ul. Wyszyńskiego 56 w Mińsku Mazowieckim odbyła się pierwsza runda VI Grand Prix Mińska Mazowieckiego w Pływaniu, której organizatorami byli Miejski Ośrodek Sportu i Rekreacji oraz KS Barakuda Mińsk Mazowiecki. W zawodach biorą udział zawodnicy i zawodniczki urodzeni w latach: 2007-2008 (kategoria I), 2005-2006 (kategoria II), 2003-2004 (kategoria III), 2000-2002 (kategoria IV). Tegoroczna formuła sportowych zmagań obejmuje trzy rundy, tj. 21.02.2016, 17.04.2016 oraz 12.06.2016 podczas których dzieci i młodzież rywalizują wg poniższego harmonogramu:

21 lutego 2016

Kategoria I-25m stylem dowolnym i klasycznym

Kategoria II-50m stylem grzbietowym i 100m stylem dowolnym

Kategoria III-50m stylem dowolnym i 100m stylem zmiennym

Kategoria IV-50m stylem motylkowym i 100m stylem grzbietowym

Konkurencja sztafetowa 8x50m stylem dowolnym kategorie I-IV

17 kwietnia 2016

Kategoria I –25m stylem grzbietowym i 50m stylem dowolnym

Kategoria II – 50m stylem klasycznym i 100m stylem zmiennym

Kategoria III-50m stylem motylkowym i 100m style grzbietowym

Kategoria IV- 100m stylem klasycznym i 400m stylem dowolnym

Konkurencja sztafetowa 8x50m stylem dowolnym kategorie I-IV

12 czerwca 2016

Kategoria I – 25 stylem klasycznym i grzbietowym

Kategoria II – 25m stylem motylkowym i 50m stylem dowolnym

Kategoria III-50m stylem klasycznym i 200m stylem dowolnym

Kategoria IV-100m stylem dowolnym i 200m stylem zmiennym

Konkurencja sztafetowa 8x50m stylem dowolnym kategorie I-IV

Po każdej rundzie najlepsi zawodnicy w każdej konkurencji indywidualnej otrzymują medale za miejsca 1-3, natomiast za miejsca 1-6 zawodnicy otrzymują dyplomy.

W pierwszej rundzie wzięło udział 204 zawodników (101 dziewcząt i 103 chłopców) z klubów:

Aqua Ryki, Klub Sportowy Neptun, Klub Sportowy Płetwal Szczyto, Mazowsze Miętne, MKS Juvenia, MUKP Warszawianka, PUKS Orka Ostrów Mazowiecka, Ratownictwo Wodne Rzeczpospolitej, Sinnet Club Warszawa, SP „Na Fali” MOSiR Michałowo, Squatina Ostrołęka, Szkoła Podstawowa nr 234, Uczniowski Klub Sportowy „Delfinek” w Kutnie, UKS Delfin Garwolin, UKS G-8 Bielany, UKS Jagiellonka Warszawa, UKS Piątka Ostrołęka, UKS Szestnastka, UKS Wawer, UKS Wilanowia Warszawa, UKS Ósemka Siedlce, UŚKS Ostrołęka, Victoria Józefów, Śródmiejski UKS Polna Warszawa oraz zawodnicy niezrzeszeni. Rywalizacja stała na bardzo wysokim poziomie, o czym świadczą liczne rekordy życiowe uczestników. Z roku na rok zauważalny jest nie tylko znaczny rozwój organizacyjny ale również poziom sportowych umiejętności. Od dwóch lat rywalizację oceniają sędziowie PZP,
a w tym roku jako nieliczni w regionie, wprowadziliśmy elektroniczny pomiar czasu.

Bardzo miłym akcentem imprezy była liczna obecność kibiców, którzy gorąco dopingowali swoich. Około godziny 13.00 nastąpiła uroczysta dekoracja najlepszych pływaków, której przewodzili organizatorzy Dyrektor MOSiR Robert Smuga i Prezes KS Barakuda Tomasz Radomiński.

Składamy serdecznie gratulacje wszystkim startującym w VI Grand Prix Mińska Mazowieckiego w Pływaniu życząc powodzenia w kolejnych rundach!

MOSiR

Zmiana rozkładu jazdy pociągów Kolei Mazowieckich

Komunikat prasowy

Zmiana rozkładu jazdy pociągów Kolei Mazowieckich

Koleje Mazowieckie informują, że w okresie od 13 marca do 11 czerwca 2016 r.,
w związku z pracami modernizacyjnymi prowadzonymi przez
zarządcę infrastruktury PKP Polskie Linie Kolejowe S.A., będzie obowiązywał zmieniony rozkład jazdy pociągów.

Największe zmiany wystąpią na liniach: nr 8 Warszawa – Skarżysko Kamienna, nr 6 Warszawa – Małkinia oraz nr 9 Warszawa – Działdowo. Szczegółowe zmiany w kursowaniu pociągów kształtują się następująco:

Linia nr 6 Warszawa - Małkinia

Na linii nadal będą prowadzone prace modernizacyjne. Na odcinku Tłuszcz – Wołomin – Zielonka pociągi będą kursować po jednym czynnym torze. Dodatkowo od 1 czerwca 2016 r. planowane jest wydłużenie zamknięcia jednego z torów o odcinek Zielonka – Warszawa Wileńska Marki, co zwiększy skalę utrudnień. Wciąż nie jest znana data zakończenia prac na odcinku Warszawa Rembertów – Zielonka, dlatego na tym odcinku nadal będzie kursowała zastępcza komunikacja autobusowa.

Linia nr 8 Warszawa – Skarżysko Kamienna

Na linii nadal będą trwały prace modernizacyjne. Od 13 marca nastąpi wydłużenie zamknięcia odcinka Warszawa Okęcie – Piaseczno aż do Czachówka Południowego. Ponadto z ruchu zostanie wyłączona także łącznica kolejowa Czachówek Wschodni – Czachówek Południowy. W związku z tym wystąpią duże utrudnienia w ruchu pociągów. Cześć połączeń będzie odwołana, a niektóre pociągi będą kursować w skróconej relacji. Na odcinku Czachówek – Góra Kalwaria nastąpi całkowita przerwa w ruchu a za odwołane pociągi będzie uruchomiona zastępcza komunikacja autobusowa.

Ponadto pociąg „Radomiak” będzie kursować drogą okrężną przez Centralną Magistralę Kolejową.

Dla zmniejszenia uciążliwości związanych z prowadzonymi pracami, spółka zaplanowała zwiększone zestawienie (3 EZT) wybranych pociągów.

Linia nr 9 Warszawa - Działdowo

Na linii nadal będą trwały utrudnienia związane z remontem Mostu Gdańskiego. Ponadto w związku
z budową trasy świętokrzyskiej w dniach 27 maja – 11 czerwca na linii zostaną zamknięte obydwa tory na odcinku Warszawa Wschodnia – Warszawa Praga. Spowoduje to konieczność odwołania części pociągów, a pociągi lotniskowe będą kursowały objazdem przez Warszawę Wschodnią Towarową. Część pociągów będzie kursowała w skróconej relacji Warszawa Wschodnia – Warszawa Lotnisko Chopina.

Dodatkowo, w związku z kursowaniem pociągów dalekobieżnych przez Warszawę Gdańską, wystąpią istotne zmiany w kursowaniu pociągów osobowych Kolei Mazowieckich do/z Warszawy Gdańskiej.

Ponadto w związku z bieżącymi pracami utrzymaniowymi infrastruktury kolejowej wystąpią utrudnienia: na linii nr 29 Tłuszcz – Ostrołęka, gdzie w wybrane dni będą odwołane pociągi na odcinku Przetycz – Ostrołęka i Mostówka – Wyszków oraz na linii nr 33 Kutno – Sierpc (31 maja do 11 czerwca) na odcinku Sierpc – Płock Trzepowo oraz Kutno – Strzelce Kujawskie. W zamian za odwołane pociągi na ww. odcinkach będzie uruchomiona zastępcza komunikacja autobusowa.

Na linii nr 1 Warszawa – Skierniewice, w związku z przebudową stacji Skierniewice, wystąpią niewielkie przesunięcia w godzinach odjazdów pociągów. 

 „Słoneczny” i „Dragon”

Na linii Warszawa – Gdańsk, na szlaku Gdańsk Wrzeszcz – Sopot, PKP PLK S.A. zaplanowały prace modernizacyjne, które spowodują poważne utrudnienia w kursowaniu pociągów. Dodatkowo sytuację utrudni, planowane w maju 2016 roku, całkowite zamknięcie odcinka Warszawa Praga – Warszawa Wschodnia. W związku z powyższym znacznie (o blisko 102 minuty) wydłużyłby się czas jazdy pociągu „Słoneczny”, dlatego spółka podjęła decyzję o tymczasowym odwołaniu pociągu w okresie od 13 marca do 19 czerwca. Pociąg wróci na tory od 25 czerwca i w okresie wakacji będzie kursował codziennie.

Pociąg „Dragon” do Krakowa będzie kursował tak jak do tej pory, w weekendy ale będzie miał zmienione godziny kursowania. Odjeżdża z Warszawy Wschodniej o godzinie 6:59, a do stacji Kraków Główny dociera o 9:54. W drogę powrotną wyrusza o godzinie 16:10 i dowozi podróżnych do Warszawy Wschodniej na 19:05.

Szczegółowy rozkład jazdy pociągów jest dostępny na stronie internetowej www.mazowieckie.com.pl w zakładce „Tabele rozkładów jazdy”. Wszelkie informacje dostępne są także pod numerem całodobowego call center: (22) 364 44 44.

Kontakt dla mediów:

Donata Nowakowska, rzecznik prasowy „Kolei Mazowieckich – KM” sp. z o.o.
e-mail: d.nowakowska@mazowieckie.com.pl
tel. 22 47 37 551, kom. 661 929 207

Wyniki konsultacji - bezdomne zwierzęta

Mińsk Mazowiecki, 23.02.2016 r.

Wyniki przeprowadzonych konsultacji dotyczących projektu uchwały Rady Miasta Mińsk Mazowiecki w sprawie określenia Programu opieki nad zwierzętami bezdomnymi oraz zapobiegania bezdomności zwierząt
w Mińsku Mazowieckim na 2016 rok.

 

Zgodnie z uchwałą Nr XLII/402/10 Rady Miasta Mińsk Mazowiecki z dnia 20 września 2010 roku w sprawie określenia szczegółowego sposobu konsultowania z Miejską Radą Działalności Pożytku Publicznego lub z organizacjami pozarządowymi i podmiotami,
o których mowa w art. 3 ust. 3 ustawy o działalności pożytku publicznego i o wolontariacie projektów aktów prawa miejscowego w dziedzinach dotyczących działalności statutowej tych organizacji w dniach od 19 stycznia 2015 do 2 lutego 2016 r. zostały przeprowadzone konsultacje dotyczące projektu uchwały Rady Miasta Mińsk Mazowiecki w sprawie określenia Programu opieki nad zwierzętami bezdomnymi oraz zapobiegania bezdomności zwierząt w Mińsku Mazowieckim na 2016 rok.

Na dzień 25 stycznia 2016 r. zostało wyznaczone spotkanie, na które przedstawiciele organizacji pozarządowych nie przybyli.

W trakcie przeprowadzonych konsultacji zgłoszono niżej wymienione opinie i uwagi: Fundacja Międzynarodowy Ruch na Rzecz Zwierząt - Viva! wnioskowała wprowadzenie znakowania zwierząt oraz zwiększenie środków finansowych na opiekę nad wolno żyjącymi kotami. Ponadto Fundacja Viva! zgłosiła uwagi a tym samym negatywnie zaopiniowała wybór schroniska, w którym są umieszczane bezdomne zwierzęta, oraz podmiotu zapewniającego całodobową opiekę weterynaryjną w przypadkach zdarzeń drogowych z udziałem zwierząt.

Burmistrz Miasta
Mińsk Mazowiecki

 

Ogłoszenie o wyłapywaniu bezdomnych zwierząt

OGŁOSZENIE

 

Zgodnie z § 3 rozporządzenia Ministra Spraw Wewnętrznych i Administracji z dnia 26 sierpnia 1998 r. w sprawie zasad i warunków wyłapywania bezdomnych zwierząt

 

podaję do publicznej wiadomości,

 

że bezdomne zwierzęta wyłapywane są w sposób ciągły na terenie całego miasta Mińsk Mazowiecki przez Zarząd Gospodarki Komunalnej, ul. Juliana Tuwima 1, 05-300 Mińsk Mazowiecki, telefon 25 758 22 21  lub 602 100 302  oraz Straż Miejską w Mińsku Mazowieckim, ul. Konstytucji 3 Maja 1A, 05-300 Mińsk Mazowiecki telefon 25 759 53 38 i umieszczane są w Schronisku dla Bezdomnych Zwierząt prowadzonym przez Zygmunta Dworakowskiego, Radysy 13, 12-230 Biała Piska, telefon 501 622 789 lub 506 713 343.

 

 Mińsk Mazowiecki, 22 lutego 2016 r.

 


Burmistrz Miasta
Mińsk Mazowiecki

 

Powitanie wiosny 2016

Darmowy wielobój atletyczny

Monika Kuszyńska w bibliotece

„Nie ma chwili do stracenia, żyjesz tu i teraz. Na szukanie szczęścia w innych światach szkoda nas”. Autorką tych słów jest Monika Kuszyńska, piosenkarka, była wokalistka Varius Manx, której życie, jak sama twierdzi, rozpoczęło się na nowo. Wypadek sprawił, że dostała drugą szansę, aby stać się kobietą dojrzałą i szczęśliwą, potrafiącą tragedię przekuć w siłę. 16 marca, o godz. 18:30 zapraszamy na spotkanie z Moniką Kuszyńską, która postanowiła opowiedzieć o swoich przeżyciach, aby pomóc innych odnaleźć własną drogę do szczęścia. Jej historię spisała Katarzyna Przybyszewska i tak powstała książka „Drugie życie” - szczery i intymny obraz wielkiego cierpienia, a jednocześnie opis niezwykłej podróży ku wierze i miłości.

W ten wyjątkowy wieczór goście biblioteki będą mogli nabyć książkę „Drugie życie” i otrzymać autograf piosenkarki.

 

Monika Kuszyńska – piosenkarka i autorka tekstów, była wokalistka zespołu Varius Manx. W 2006 roku w wyniku wypadku samochodowego została sparaliżowana od pasa w dół. Na scenę wróciła w 2010 roku. 12 czerwca 2012 odbyła się premiera jej pierwszej solowej płyty zatytułowanej Ocalona. W lutym 2013 piosenkarka otrzymała nominację do nagrody Wiktory 2012 w kategorii Gwiazda piosenki i estrady. Reprezentowała Polskę podczas 60. Konkursu Piosenki Eurowizji. 

Konkurs piosenki kabaretowej i teatralnej

Pierwszy Turniej Futsalu

I TURNIEJ W FUTSALU O PUCHAR DYREKTORA ZESPOŁU SZKÓŁ ZAWODOWYCH NR 2
IM. POWSTANCÓW WARSZAWY W MIŃSKU MAZOWIECKIM

I Edycja Turnieju w Futsalu o Puchar Dyrektora ZSZ nr 2 im. Powstanców Warszawy w Mińsku Mazowieckim przeszedł do historii! W trakcie rozgrywek rozegrano rywalizacją w kategoriach wiekowych U -10 i U - 12. W sumie wystartowało 13 drużyn co dało liczbę uczestników 130 młodych adeptów piłki nożnej!!! W obu kategoriach wiekowych strzelono 126 bramek!!!!Rozegrano 32 mecze co przy tej liczbie strzelonych bramek daje średnią blisko 4 bramek na mecz!!!! 

W ramach rozegranych meczów w kategorii U -12 klasyfikacja końcowa przedstawia się w sposób następujący:
I miejsce - KORONA JADÓW - I DRUŻYNA;
II miejsce - KORONA JADÓW - II DRUŻYNA;
III miejsce - APN MIŃSK MAZOWIECKI - II DRUŻYNA;
IV miejsce - UNIA SKIERNIEWICE;
V miejsce - TYGRYS HUTA MIŃSKA; 
VI miejsce - SRT HALINÓW
VII miejsce - APN MIŃSK MAZOWIECKI - I DRUŻYNA
VIII miejsce - RESPEKTYNKI HALINÓW;
III miejsce - APN MIŃSK MAZOWIECKI - II DRUŻYNA
Królem strzelców został Sebastian DĄBROWSKI zawodnik KORONY JADÓW który zdobył 7 bramek w turnieju!
Najlepszym bramkarzem turnieju został Franciszek MIKULSKI który również reprezentował barwy KORONY JADÓW.
Najlepszy zawodnikiem turnieju według organizatorów została Natalia KONDRUŚ, która została wyróżniona bo zachowywał się na boisku jak prawdziwy ligowy zawodnik Ligi Futsalu!!!!!!
Zaś w kategorii U - 10 klasyfikacja końcowa przedstawia się w sposób następujący:
I miejsce - SRT HALINÓW - I DRUŻYNA;
II miejsce - SRT HALINÓW - II DRUŻYNA;
III miejsce - APN MIŃSK MAZOWIECKI - I DRUŻYNA;
IV miejsce - KORONA JADÓW;
V miejsce - APN MIŃSK MAZOWIECKI - II DRUŻYNA; 
Najlepszym bramkarzem został zawodnik SRT HALINÓW Mateusz WIŚNIEWSKI. Królem strzelców został zawodnik również SRT HALINÓW który zdobył 23 bramki w turnieju co stanowi 1/3 wszystkich zdobytych bramek podczas turnieju!!!!
Najlepszy zawodnikiem turnieju według organizatorów został bramkarz Korony Jadów Tomas KEWIN, dzięki któremu jego drużyna straciła mniej bramek!!! Został wyróżniony bo zachowywał się na bramce jak prawdziwy ligowy bramkarz!!
Dziękuję bardzo wszystkim klubowiczom przy organizacji Turnieju ( bez WAS turniej by się nie odbył ) !!! Dziękuję również Panu Dyrektorowi ZSZ nr 2 w Mińsku Mazowieckim za użyczenie hali sportowej oraz pomoc przy organizacji zawodów!!!
Dziękuję sponsorowi Hurtowniasportowa.net  oraz Strefie Mińskiej za Patronat Medialny nad Imprezą!!!!

Podsumuję to wszystko jednym zdaniem:
Niech na kolejnej edycji będzie Nas jeszcze więcej!!!!!1
Organizator!!!!

 

--

Ze sportowym pozdrowieniem

Marcin OKRZEJSKI PREZES ACTIVUM SPORTS

 

O Eugeniuszu Bodo w Miejskiej Bibliotece Publicznej

11 marca, o godz. 18:30 zapraszamy na spotkanie z Anną Mieszkowską, autorką książki o Eugeniuszu Bodo i losach polskiego kabaretu. Dwudziestolecie międzywojenne było czasem  rozkwitu sztuki teatralnej i sceny rozrywkowej. O życiu kulturalnym ówczesnego pokolenia przypominają fotografie, artykuły prasowe i plakaty. Obraz tamtych wydarzeń tworzą także pozostawione zapiski, listy i dokumenty. I właśnie na podstawie powyższych zbiorów powstała książka prezentująca kilkanaście znanych do dziś postaci piosenki, kabaretu, tańca i filmu, zatytułowana „Eugeniusz Bodo wśród Gwiazd”. Na jej stronach poza opisem kariery głównego bohaterem, nazywanego „królem polskiego ekranu”, znajdziemy także informacje między innymi o Stefanii Górskiej, Zofii Terné, Marii Modzelewskiej, Konradzie Tomie, Zuli Pogorzelskiej, Feliksie Konarskim, Ninie Oleńskiej, Alfredzie Schűtzu, Renacie Bogdańskiej - Anders, czy też o Gwidonie Boruckim. Historia kabaretu okresu międzywojennego niezmiennie budzi zainteresowanie współczesnych odbiorców, a na temat teatrów rewiowych zostało opublikowanych w ostatnich kilku latach wiele prac naukowych i popularnych. Biblioteka zatem, w ślad za słowami Feliksa Konarskiego - „to taka miła jest rzecz umieć cofnąć się wstecz - wspomnieniami”, zachęca do wieczoru pełnego kabaretowego czaru i nostalgicznych opowieści.

Ferie z MOSiR-em

Miejski Ośrodek Sportu i Rekreacji był organizatorem akcji Ferie z MOSiR 2016, w ramach której uatrakcyjnił dzieciom czas wolny od szkoły. Daliśmy możliwość uczestnictwa w aktywnościach sportowo-rekreacyjnych dopasowanych do wieku i możliwości dzieci. Zgłoszenia na nieodpłatne zajęcia cieszyły się ogromną popularnością. Nabór był otwarty, a o zakwalifikowaniu do grupy decydowała kolejność zgłoszeń.

Największym zainteresowaniem cieszyły się zajęcia zumba kids dla dzieci w wieku 6-10 lat, które w tym roku po raz pierwszy zagościły w ofercie MOSiR. Zajęcia te odbywały się w poniedziałki, środy i piątki w godz. 15.00-16.00 w sali przy ul. Sportowej 1. Dzieci pod okiem instruktorki Pani Eweliny Kaski Łobodowskiej aktywnie spędzały czas ucząc się wciąż nowych kroków tańca latynoamerykańskiego połączonych z elementami fitnessu.

Kolejną aktywnością cieszącą się jak zawsze ogromną popularnością były zajęcia nauki i doskonalenia pływania, które w ramach tegorocznej akcji były realizowane w trzech grupach. Pierwszą grupę stanowiły dzieci w wieku 5-6 lat, kolejne dwie to dzieci ze szkół podstawowych. Podczas zajęć kursanci oswajali się z wodą, uczyli bezpiecznych zachowań nad zbiornikami wodnymi, ćwiczyli skoki do wody i przyswajali podstawowe elementy nauki pływania. Nie brakowało również czasu na rekreację, tj. zjazdy na zjeżdżalni, gry i zabawy. Zajęcia prowadzili instruktorzy pływania Pan Adrian Jarzębski oraz Pani Bożena Niemyjska.

Tradycyjnie podczas ferii prowadzone były również zajęcia nauki i doskonalenia jazdy na łyżwach. W tym roku przewidzieliśmy zajęcia dla jednej grupy, a w związku z dużą ilością zgłoszeń postanowiliśmy objąć szkółką dodatkowych 15 osób. Szkółka łyżwiarstwa była prowadzona przez instruktora Pana Konrada Gomulskiego, druga zaś przez Pana Kamila Ołdaka. Dzieci podczas półtoragodzinnych zajęć trzy razy w tygodniu uczyły się jazdy do przodu, do tyłu, „przeplatanki” itp. Organizacja czasu wolnego na lodowisku spotyka się z dużą aprobatą rodziców, którzy często wybierają tą formę aktywności dla dzieci.

W ramach akcji zorganizowaliśmy również Akademię Tenisa Stołowego, która była dedykowana dzieciom ze szkół podstawowych klasy I-VI. Półtoragodzinne zajęcia prowadził instruktor Pan Marek Kudelski na świetlicy przy ul. Sportowej 1 przez pierwszy tydzień ferii – od poniedziałku do soboty. Dzieci pod jego okiem uczyły się i doskonaliły grę w tenisa stołowego.

Nowością w ofercie MOSiR były zajęcia jogi dla rodzica i dziecka w wieku 7-10 lat. Sześć bloków godzinnych zajęć prowadzonych przez Panią Edytę Matejko-Paszkowską były nie lada gratką dla fanów relaksacyjnych gier i zabaw. Była to nowa forma zajęć proponowanych MOSiR. Mamy nadzieję, że zajęcia jogi spotkają się z entuzjastycznym przyjęciem podczas letniej akcji MOSiR pamiętając, że joga jest nie tylko dla ciała ale też dla duszy!

Ponadto przypominamy, iż podczas ferii dzieci i młodzież do 25 roku życia za okazaniem odpowiedniego dokumentu mogli zakupić bilet na basen za 3zł, a na lodowisko za jedynie 2zł.

Dziękujemy za ogromne zainteresowanie naszą ofertą!

MOSiR

 

KOMUNIKAT Dyrektora Muzeum!

Na podstawie Zarządzenia Nr 1/2016 Dyrektora Muzeum Ziemi Mińskiej w Mińsku Mazowieckim z dnia 16.02.2016 r. ukonstytuował się w dniu 21 lutego 2016 roku Komitet Wydawniczy – VI Wieków Mińska Mazowieckiego. W skład Komitetu Wydawniczego weszły następujące osoby:

- Celej Leszek – historyk, dyrektor Muzeum Ziemi Mińskiej

- Cygan Wiktor – historyk, właściciel Oficyny Wydawniczej „Zbroja”

- dr Kuligowski Janusz – historyk, regionalista

- dr Nowik Andrzej – historyk, wiceprezes Polskiego Towarzystwa Genealogicznego

- Sęktas-Chanke Teresa – historyk, bibliotekarz, emerytowany dyrektor Miejskiej Biblioteki Publicznej

- Sieradzińska Elżbieta – romanista, bibliotekarz, dyrektor Miejskiej Biblioteki Publicznej

 

Do zadań Komitetu Wydawniczego należy:

- wspieranie działań Muzeum Ziemi Mińskiej e Mińsku Mazowieckim w zakresie realizowanej edycji wydawniczej z okazji 600-lecia nadania praw miejskich Miastu Mińsk Mazowiecki

-stały kontakt ze środowiskami naukowymi opisującymi dzieje Mińska Mazowieckiego, reprezentującymi: Instytut Historii Polskiej Akademii Nauk, Uniwersytet Kardynała Stefana Wyszyńskiego, Państwowe Muzeum Archeologiczne w Warszawie

- dbanie o poziom edytorski całości wydawnictwa

 

Podstawą do działania Muzeum w/w zakresie są: Zarządzenie Nr 61/16/15 Burmistrza Miasta Mińsk Mazowiecki z dnia 19.02.2015 r. List intencyjny podpisany w dniu 22.12.2015 r. pomiędzy Instytutem Historii im. Tadeusza Manteuffla Polskiej Akademii Nauk a Burmistrzem Miasta Mińsk Mazowiecki, List intencyjny podpisany w dniu 22.12.2015 r. pomiędzy Państwowym Muzeum Archeologicznym w Warszawie a Burmistrzem Miasta Mińsk Mazowiecki oraz Umowa Ramowa o Współpracy podpisana w dniu 20.01.2016 r. pomiędzy Uniwersytetem Kardynała Stefana Wyszyńskiego w Warszawie a Miastem Mińsk Mazowiecki.

Otwarcie stadionu na ul. Budowlanej

Otwarte Mistrzostwa w Badmintonie 2016

Familiada na Lodzie 2016

www.mosir.org.pl

Aquamaraton 2016

Ruszyło radio.minskmaz.com

Wybory uzupełniające do Rady Miasta Mińsk Mazowiecki 2016 - Okręg nr 8

Rekrutacja dzieci do przedszkoli i oddziałów przedszkolnych

Rekrutacja dzieci do przedszkoli i oddziałów przedszkolnych w szkołach podstawowych prowadzonych przez Miasto Mińsk Mazowiecki na rok szkolny 2016/2017 odbywać się będzie poprzez system elektroniczny w terminie od 14 do 31 marca 2016 r.

ZASADY REKRUTACJI

·  Do miejskich oddziałów przedszkolnych przyjmowane są dzieci zamieszkałe w mieście Mińsk Mazowiecki.

· Rekrutacja odbywa się z wykorzystaniem systemu elektronicznego.

· O przyjęciu dziecka do przedszkola NIE decyduje kolejność zgłoszeń!!!

· Dzieci już uczęszczające do przedszkoli - w roku szkolnym 2016/2017 będą przyjmowane na podstawie składanych przez rodziców deklaracji kontynuacji edukacji przedszkolnej.

· Wychowaniem przedszkolnym objęte są dzieci z roczników 2013, 2012, 2011 i 2010.

  • Dzieci sześcioletnie (urodzone w 2010 roku) obowiązane są odbyć roczne przygotowanie przedszkolne w przedszkolu, oddziale przedszkolnym zorganizowanym w szkole podstawowej lub innej formie wychowania przedszkolnego. Obowiązek ten rozpoczyna się z początkiem roku szkolnego w roku kalendarzowym, w którym dziecko kończy sześć lat. Burmistrz Miasta może wskazać rodzicom inne przedszkole lub oddział przedszkolny w szkole podstawowej niż wskazane we wniosku o przyjęcie.
  • Wszystkie dzieci czteroletnie (urodzone w 2012) oraz dzieci pięcioletnie (urodzone w 2011) mają prawo do korzystania z wychowania przedszkolnego i, w przypadku wzięcia udziału w rekrutacji, będą miały zapewnione miejsce w przedszkolu lub oddziale przedszkolnym w szkole podstawowej. Burmistrz Miasta może wskazać rodzicom inną placówkę niż wskazana we wniosku o przyjęcie. 

· Rekrutacja dzieci z orzeczeniem o potrzebie kształcenia specjalnego do oddziałów ogólnodostępnych  prowadzona jest z wykorzystaniem systemu elektronicznego w terminach określonych w harmonogramie.

· Nabór do Oddziału Specjalnego w Przedszkolu Miejskim z Oddziałem Specjalnym i Oddziałem Integracyjnym Nr 4 im. Urszuli Smoczyńskiej w Mińsku Mazowieckim odbywać się będzie poza systemem elektronicznym.

· Przedstawione w ofertach przedszkoli i szkół podstawowych: ilość grup, ich przeznaczenie wiekowe oraz czas pracy oddziałów mogą ulec zmianie.

· W przypadku braku dostępu do Internetu Rodzic wypełnia Wniosek o przyjęcie dziecka ręcznie (formularze dostępne od 14 marca w przedszkolach miejskich).

 

PRZEBIEG REKRUTACJI

ETAP wstępny – informator

Na stronie rekrutacji Rodzice mają możliwość zapoznania się z najważniejszymi danymi dotyczącymi przedszkoli miejskich, gdzie są podane adresy stron internetowych poszczególnych placówek, na których można uzyskać dokładne informacje na temat wybranego przez siebie przedszkola. Rekrutacja do przedszkoli niepublicznych odbywa się według zasad i w terminach ustalanych przez właścicieli przedszkola.

ETAP I – Wypełnianie wniosku o przyjęcie dziecka do placówki

Elektroniczna rekrutacja do przedszkoli trwa od 14 marca 2016 r. od godz. 8.00 do 31 marca 2016 r. do godz. 15.00, obejmuje wprowadzanie danych dzieci do systemu i składanie wniosków do przedszkola pierwszego wyboru.

Aby dziecko wzięło udział w rekrutacji, rodzic  jest zobowiązany do wypełnienia wniosku o przyjęcie dziecka  do placówki. 
We wniosku rodzic deklaruje wybór maksymalnie 3 placówek, w których  stara się o przyjęcie dziecka.

Dwa sposoby składania wniosków przez rodziców

Pierwszy: Rodzic wypełnia wniosek elektronicznie poprzez stronę internetową, drukuje go i podpisuje, a następnie udaje się do przedszkola pierwszego wyboru (czyli przedszkola znajdującego się na pierwszym miejscu na liście przedszkoli, do których dziecko stara się o przyjęcie) w celu złożenia wniosku  wraz z wymaganą dokumentacją – do weryfikacji przez Komisję Rekrutacyjną.

Drugi: Jeżeli rodzic nie ma możliwości skorzystania z komputera z dostępem do Internetu, wypełnia ręcznie pobrany w przedszkolu wniosek (można go otrzymać w każdym przedszkolu) i udaje się do placówki pierwszego wyboru wraz z wymaganą dokumentacją, gdzie do systemu wniosek wprowadzi Placówka.  Wniosek wraz z dokumentacją zostanie zweryfikowany przez Komisję Rekrutacyjną.

ETAP II - Złożenie wniosku w przedszkolu pierwszego wyboru

Jeśli rodzic wypełnił wniosek za pośrednictwem strony internetowej, to jego wniosek został zapisany w systemie. Rodzic  z wersją papierową wniosku musi koniecznie udać się do przedszkola pierwszego wyboru i złożyć wniosek wraz z dokumentami niezbędnymi do potwierdzania kryteriów najpóźniej do 31 marca 2016 r. do godz. 15.00.

Wnioski wraz z dokumentacją rozpatruje komisja rekrutacyjna powołana przez dyrektora przedszkola. Przewodniczący komisji rekrutacyjnej może zwrócić się do Burmistrza Miasta o potwierdzenie okoliczności zawartych w oświadczeniach  i w tym celu może: skorzystać z informacji, do których ma dostęp w urzędzie, wystąpić do instytucji publicznych o udzielenie informacji, jak również zlecić przeprowadzenie wywiadu w celu zweryfikowania oświadczenia o samotnym wychowywaniu dziecka.

W przypadku nieprzedłożenia dokumentów potwierdzających spełnianie kryteriów oraz w sytuacji braku potwierdzenia okoliczności zawartych w oświadczeniu, komisja rekrutacyjna, rozpatrując wniosek, nie uwzględnia danego kryterium.

ETAP III - Listy dzieci zakwalifikowanych do placówek

W dniu 22 kwietnia 2016 r. do godz. 10.00 placówki ogłaszają listy kandydatów zakwalifikowanych i kandydatów niezakwalifikowanych do przedszkola. Wyniki rekrutacji rodzic może sprawdzić:

·       w placówce

·       logując się na stronie internetowej dla rodziców

·     otrzymując informację o wyniku rekrutacji na pocztę elektroniczną (w przypadku podania adresu we wniosku).

ETAP IV - Potwierdzenie przez rodzica woli przyjęcia dziecka do placówki

Jeżeli dziecko znalazło się na liście dzieci zakwalifikowanych do przedszkola, to rodzic w terminie od 22 kwietnia do 27 kwietnia 2016 r. do godz. 15.00 musi udać się do tej placówki i potwierdzić wolę umieszczenia w niej dziecka poprzez podpisanie umowy.

ETAP V – W dniu 29 kwietnia 2016 r. do godz. 10.00 – podanie do publicznej wiadomości listy kandydatów przyjętych i kandydatów nieprzyjętych.

ETAP VI – Procedura odwoławcza

- Składanie wniosków o sporządzenie uzasadnienia odmowy przyjęcia – w terminie do 7 dni od dnia podania do publicznej wiadomości listy kandydatów przyjętych i kandydatów nieprzyjętych.

- Przygotowanie i wydanie uzasadnienia odmowy przyjęcia – do 5 dni od daty złożenia wniosku o sporządzenie uzasadnienia odmowy przyjęcia.

- Złożenie do dyrektora odwołania od rozstrzygnięcia komisji rekrutacyjnej wyrażonego w pisemnym uzasadnieniu odmowy przyjęcia – do 7 dni od terminu otrzymania pisemnego uzasadnienia odmowy przyjęcia.

Rozstrzygnięcie przez dyrektora odwołania od rozstrzygnięcia komisji rekrutacyjnej wyrażonego w pisemnym uzasadnieniu odmowy przyjęcia – do 7 dni od dnia złożenia do dyrektora odwołania od rozstrzygnięcia komisji rekrutacyjnej.

ETAP VII – Ewentualne postępowanie uzupełniające

Rodzice, których dzieci nie zostały przyjęte do żadnego z wybranych przedszkoli, mogą złożyć wniosek w przedszkolu, które dysponuje wolnymi miejscami. Pomocą w szukaniu wolnego miejsca w przedszkolu jest informacja o wolnych miejscach dostępna  za pośrednictwem strony internetowej. Postępowanie uzupełniające odbywać się będzie od 4 maja 2016 r. do 2 czerwca 2016 r. według zasad obowiązujących podczas rekrutacji pierwszego naboru, według podanych niżej terminów:

- składanie wniosków wraz z załącznikami – od 4 maja 2016r. od godz. 8.00 do 6 maja 2016r. do godz. 15.00

- podanie do publicznej wiadomości listy kandydatów zakwalifikowanych i kandydatów niezakwalifikowanych – 27 maja 2016r. do godz. 10.00

- potwierdzenie woli – od 27 maja 2016r. do 31 maja 2016r. do godz. 15.00

- podanie do publicznej wiadomości listy kandydatów przyjętych i kandydatów nieprzyjętych – 2 czerwca 2016r. do godz. 10.00.

ETAP VIII – Procedura odwoławcza – jak wyżej

 

 

UWAGA znowu oszukują metodą „NA POLICJANTA” i „NA PROKURATORA”

Monodram "Życie Jadzi według mnie"

Z CYKLU TEATRALNA SCENA KAMERALNA - ŻYCIE JADZI WEDŁUG MNIE. Z okazji Dnia Kobiet zapraszamy na monodram. Życie Jadzi według mnie to monodram, opowiadający historię miłosną z punktu widzenia starzejącego się mężczyzny. Magister inżynierii sanitarnej dzieli się z nami wspomnieniami z cudownych kilku lat wielkiej miłości z młodszą Jadzią, która pewnego dnia nagle odmienia jego życie. Stary kawaler nagle odkrywa w sobie amanta, chodzi na randki (na pizzę), ćwiczy powitanie przed lustrem w toalecie, przeżywa uczuciowe uniesienia, aż wreszcie opuszcza wynajmowany od wielu lat pokój, by zamieszkać z kobietą. Bohater porusza się jak dziecko we mgle, a sytuacje wokół niego wciąż go dziwią i zaskakują. Zadaje więc pytania i próbuje pojąć takie zjawiska jak ciąża kobiety, zjazd rodzinny z okazji urodzin dziecka, czy choćby zawodzenie religijne w kościele. Jest nieraz jak przybysz z innej planety, który pojawił się w typowej polskiej rodzinie. Nie unika głębokich egzystencjalnych przemyśleń, które go dręczą i zmieniają.
Cała ta często zabawna i pełna trafnych, nieraz kąśliwych spostrzeżeń o naszych polskich rytuałach historia opowiadana jest jednak z pewnej perspektywy. Oto nasz bohater czeka z niecierpliwością na ważną wiadomość, która może dogłębnie zmienić jego życie. Piękne chwile z Jadzią nagle stanęły w cieniu lęku. Z komedii rodzi się dramat. Farsa zamienia się w pełną napięcia chwilę wyczekiwania. Tempo zwalnia, a w tle brzmi barokowa aria. Życie po raz kolejny wywraca się do góry nogami. 
Reżyseria: Paweł Paszta
Scenografia/plakat: Ewelina Brudnicka
Choreografia: Joanna Lichorowicz
Występuje: Sławomir Holland 
MDK, 8 marca 2016 r. godz. 19:00, bilet 15zł

Tańce Latino w pałacu

Koncert Chopinowski

Weekend w MDK z Krzysztofem Kieślowskim

11 marca


18:00 - wspomnienie o K.Kieślowskim
18:10 - projekcja filmu Z punktu widzenia nocnego portiera
18:30 - panel dyskusyjny moralność w filmach K.Kieślowskiego
19:00 - projekcja filmu Amator


12 marca

17:00 - wspomnienie o K.Kieślowskim
17:10 - projekcja filmu Przypadek. Panel dyskusyjny, gość Marzena Trybała
20:00 - projekcja filmu Krótki film o miłości


13 marca

17:00 - wspomnienie o K.Kieślowskim
17:10 - projekcja filmów Gadające głowy, Urząd
17:30 - spotkanie z Magdaleną Łazarkiewicz
18:00 - projekcja filmu Czerwony

Stoisko z książkami o Krzysztofie Kieślowskim.

WSTĘP WOLNY

 

Koncert Big Bandu

Finał GIMBITU

FINAŁ VII POWIATOWEGO KONKURSU INFORMATYCZNEGO GIM BIT POD PATRONATEM STAROSTY MIŃSKIEGO W ZESPOLE SZKÓŁ ZAWODOWYCH NR 2 IM. POWSTAŃCÓW WARSZAWY W MIŃSKU MAZOWIECKIM

W dniu 26 lutego 2016 r w Zespole Szkół Zawodowych nr 2 im. Powstańców Warszawy odbył się finał VII Powiatowego Konkursu Informatycznego GIM-BIT. Patronat nad konkursem sprawował Starosta Miński Antoni Jan Tarczyński.

            Konkurs był dwuetapowy. Do pierwszego etapu, który polegał na wykonaniu plakatu o tematyce „Mój wybór – szkoła zawodowa” przystąpiło 10 drużyn z siedmiu gimnazjów z terenu powiatu. Wszystkie drużyny zostały zakwalifikowane do finału. Były to:

  1. Nela Jędrych i Urszula Filipowicz z Gimnazjum nr 2 w Mrozach, pod opieką P. Ewy Olszewskiej;
  2. Aleksandra Przybyłko i Natalin Witon z Gimnazjum im. VI Pułku Piechoty Legionów Józefa Piłsudskiego w Kałuszynie, pod opieką P. Ireneusza Wierzbickiego;
  3. Krystian Polkowski i Kamil Wójcik z Gimnazjum Dwujęzycznego w Brzezinach, pod opieką P. Wioletty Stępień;
  4. Cezary Lipiński i Mikołaj Szostak z Gimnazjum  w Zespole Szkół Miejskich nr 2 w Mińsku Mazowieckim, pod opieką P. Beaty Bieniek;
  5. Ewa Wiśniewska i Karolina Gładysz z Gimnazjum nr 2 im. Janusza Korczaka w Sulejówku, pod opieką P. Doroty Stępień;
  6. Dawid Noceń i Mateusz Skowron z Gimnazjum nr 3 im. Stefana Czarnieckiego w Sulejówku, pod opieką P. Doroty Stępień;
  7. Hubert Zalewski i Piotr Szostak z Gimnazjum Miejskiego nr 1 w Mińsku Mazowieckim, pod opieką P. Magdaleny Skwiecińskiej –Linosz;
  8. Monika Melańczuk i Albert Nejman z Gimnazjum Miejskiego nr 1 w Mińsku Mazowieckim, , pod opieką P. Magdaleny Skwiecińskiej –Linosz;
  9. Ilona Korytko i Katarzyna Kucharska z Gimnazjum nr 2 im. Janusza Korczaka w Sulejówku, pod opieką P. Doroty Stępień;
  10. Katarzyna Patoka i Mateusz Grabik z Gimnazjum  w Zespole Szkół Miejskich nr 2 w Mińsku Mazowieckim, pod opieką P. Beaty Bieniek.

W finale zadaniem uczestników było rozwiązanie testu z ogólnej wiedzy informatycznej. Wszyscy gimnazjaliści wykazali się bardzo dużą wiedzą, którą zdobywali pod okiem swoich opiekunów . Jury konkursu, po zsumowaniu wyników z  I i II etapu ogłosiło wyniki:

Miejsce I - Krystian Polkowski i Kamil Wójcik z Gimnazjum Dwujęzycznego w Brzezinach;

Miejsce II - Nela Jędrych i Urszula Filipowicz z Gimnazjum nr 2 w Mrozach;

Miejsce III - Dawid Noceń i Mateusz Skowron z Gimnazjum nr 3 im. Stefana Czarnieckiego w Sulejówku.

Wszyscy uczestnicy otrzymali upominki oraz pamiątkowe dyplomy, a laureaci dyplomy oraz nagrody ufundowane przez sponsorów. Opiekunowie oraz sponsorzy otrzymali specjalne podziękowania od organizatorów konkursu. Wręczenia nagród i dyplomów dokonał Dyrektor Zespołu Szkół Zawodowych nr 2 im. Powstańców Warszawy P. Tomasz Płochocki, wraz z wicedyrektorem zespołu P. Agnieszka Paja, przedstawicielem Wydziału Oświaty Starostwa Powiatowego w Mińsku Mazowieckim P. Iwona Chałupką, oraz przedstawicielem organizatorów P. Markiem Szczurowskim.

Sponsorami nagród i upominków byli;

  • Firma Edukacyjno-Wydawnicza ELITMAT;
  • Szkoła Języków Obcych EUROSCHOOL;
  • Starostwo Powiatowe w Mińsku Mazowieckim.

Poczęstunek dla uczestników finału ufundowała Piekarnia, Cukiernia Wielgolas.

Konkurs zorganizowali członkowie Zespołu Nauczycieli Informatyki w ZSZ nr 2 im. Powstańców Warszawy w Mińsku Mazowieckim: Marek Szczurowski, Marek Sitek, Anna Dąbrowska i Agnieszka Paja.

Opracował

Marek Szczurowski

 

 

 

XIII Indywidualne Mistrzostwa MDK w szachach

27 lutego 2016r.  Miejski Dom Kultury w Mińsku Mazowieckim gościł przedszkolaków, uczniów szkół podstawowych i gimnazjów z powiatu mińskiego oraz wszystkich uczniów szkółki szachowej MDK na XIII Indywidualnych Mistrzostwach MDK w szachach w Mińsku Mazowieckim.

W szranki turniejowe stanęło 53 zawodników. Turniej rozegrany został systemem szwajcarskim, na dystansie sześciu rund po 30 minut na zawodnika z podziałem na poszczególne klasyfikacje:

  • Krasnale  ( dzieci ur. w 2009 i młodsi)
  • Dziewczęta,
  • Chłopcy szkoły podstawowe,
  • Chłopcy szkoły gimnazjalne,
  • Najlepszy zawodnik MDK.

 

W kategorii Krasnale:

I miejsce  wywalczył  Michał Stradczuk, (SP 6 Mińsk Maz), II miejsce Artur Zarzycki (SP 2 Mińsk Mazowiecki), III miejsce Mateusz Kijek (Przedszkole Prywatne „MINI RAJ”
w Mińsku Maz.)

 

W kategorii dziewcząt:

I miejsce zdobyła Maria Zaborowska (Publiczna Salezjańska Szkoła Podstawowa), II miejsce Amelia Rozwadowska (Publiczna Salezjańska Szkoła Podstawowa),  III miejsce Wiktoria Stradczuk (SP 6 Mińsk Maz.)

 

W  kategorii chłopcy szkoły podstawowe:

I miejsce zajął Miłosz Zaborowski (SP Wiciejów), II miejsce Kacper Królak (SP Jakubów), III miejsce Nikodem Jachimowicz (SP Wierzbno)

 

W  kategorii chłopcy szkoły gimnazjalne

 

I miejsce wywalczył Hubert Kosieradzki, II miejsce Norbert Gąsior a III Piotr Wąsak wszyscy zawodnicy z Gimnazjum w Jakubowie.

 

Klasyfikację najlepszy zawodnik szkółki MDK

  • I   miejsce Michał Kubicki,
  • II  miejsce Filip Kwiatek,
  • III miejsce Mateusz Kijek

 

Głównym organizatorem turniejów był Miejski Dom Kultury w Mińsku Mazowieckim,
a współorganizatorem Mińskie Towarzystwo Szachowe. Turniej był współfinansowany ze środków Urzędu Miasta w Mińsku Mazowieckim. W trakcie turnieju MDK dla szachistów zorganizował słodki poczęstunek.

Uroczystym elementem finału było wręczenie najlepszym zawodnikom w poszczególnych kategoriach turnieju  pucharów, medali, dyplomów i nagród rzeczowych oraz słodkiej niespodzianki wszystkim uczestnikom sportowych zmagań sfinansowanych  przez MDK
w Mińsku Mazowieckim. Sędzią głównym turnieju był Andrzej Koseski.

Szachy błyskawiczne

Równolegle do turnieju dla młodych szachistów odbyły się zawody szachów błyskawicznych,  w których wzięło udział 8 zawodników. Zwycięzcą w tym turnieju został Jakub Suliborski, II miejsce zdobyła Monika Rykała a trzecie Sławomir Ołowski. 

Informacje z MOSiR

Lodowisko czynne do 13 marca

Od września koszykarska klasa w papieskim gimnazjum

29 lutego w urzędzie miasta w Mińsku Mazowieckim został podpisany list intencyjny w sprawie utworzenia i prowadzenia w Gimnazjum Miejskim nr 2 im. Jana Pawła II w Mińsku Mazowieckim od września 2016r. klasy sportowej o profilu – koszykówka dziewcząt i chłopców.

Pod listem podpisał się burmistrz miasta pan Marcin Jakubowski, dyrektor Miejskiego Ośrodka Sportu i Rekreacji pan Robert Smuga, wiceprezes Uczniowskiego Klubu Sportowego PROBASKET pan Tomasz Wicik oraz wicedyrektor naszej szkoły pani Izabela Saganowska. Miasto zawarło z Klubem PROBASKET umowę, by papieskie gimnazjum mogło od września uczyć i trenować zdolnych koszykarzy i koszykarki.

Zapraszamy zatem szóstoklasistów, którym marzy się kariera na wzór Marcina Gortata – najlepszego polskiego koszykarza grającego w amerykańskiej lidze NBA, by zgłaszali się do gimnazjum przy Budowlanej już od 11 kwietnia. Przy rekrutacji do klasy sportowej nie obowiązuje rejonizacja, chodzi o stworzenie szansy sportowego i edukacyjnego rozwoju młodym zdolnym sportowcom zamieszkującym Mińsk i okolice.

W maju kandydaci będą przechodzić testy sprawnościowe, a ci, którzy zostaną przyjęci do klasy sportowej, będą mieli 10 godzin zajęć fizycznych w tygodniu, będą brać udział w rozgrywkach, zawodach, będą wyjeżdżać na obozy i zgrupowania sportowe.

Jeszcze w marcu Gimnazjum Miejskie nr 2 zorganizuje turniej koszykarski dla uczniów klas szóstych z Mińska i okolic, by móc się przymierzyć do sportowej kariery.

ZAPRASZAMY KOSZYKARZY DO DWÓJKI!

Iza Saganowska

Polski górą!

Tradycyjnie luty w Gimnazjum Miejskim nr 2 im. Jana Pawła II poświęcony jest językowi polskiemu. Od kilku lat w szkole nauczyciele poloniści organizują szkolne święto języka polskiego pod hasłem „Moda na polski”.

W tym roku najważniejsze polonistyczne spotkanie zostało zaplanowane na 25 lutego. Tego dnia do gimnazjum przyjechała pani profesor Violetta Machnicka – dyrektor Instytutu Filologii Polskiej i Lingwistyki Stosowanej na Wydziale Humanistycznym Uniwersytetu Przyrodniczo-Humanistycznego w Siedlcach. Pani profesor zgodziła się wygłosić dla uczniów wykład otwarty na temat znaczenia i pochodzenia imion. W tytule swojej prelekcji pani profesor umieściła cytat z wiersza Aleksandra Puszkina „Cóż tobie imię moje powie”, dowodząc tym samym, że imię może warunkować życie osoby, która je nosi. Gimnazjaliści dowiedzieli się, skąd wywodzą się ich imiona, co oznaczają niektóre z imion i że można mówić o modzie w nadawaniu imion. Zarówno uczniowie, jak i nauczyciele wymienili się informacjami na temat tego, czym inspirowali się ich rodzice, nadając im imiona. Okazało się, że na przykład pani profesor ma imię dzięki piosenkarce – pani Violetcie Villas, a pani wicedyrektor Izabel Saganowska nosi imię zainspirowane bohaterką literacką - Izabelą Łęcką z „Lalki”. Dzięki spotkaniu z wykładowcą akademickim uczniowie mieli okazję pomyśleć o swoim imieniu, poza tym dowiedzieli się, że jest „Słownik imion”, w którym każdy może dowiedzieć się czegoś ciekawego o swoim imieniu. Dzięki ogłoszeniu konkursu na jak najlepszą notatkę z wykładu okazało się, że gimnazjaliści mają mnóstwo sposobów notowania i świetnie sobie poradzili z tym wyzwaniem.

Pani profesor obserwowała również polonistyczną zabawę uczniów gimnazjum, którzy walczyli o tytuł najbardziej polonistycznej klasy w szkole. W gronie najlepszych znalazły się klasy: 1g, 2e i 3d. Uczniowie wykazali się kreatywnością, przygotowując lekturowe rzeźby z siebie samych i dowiedli, że potrafią wskazać błędy językowe w tekście piosenki, a dodatkowo jeszcze je poprawić. Na pierwszym miejscu znaleźli się trzecioklasiści (to dobry znak przed zbliżającym się egzaminem gimnazjalnym), na drugim – klasa 2e, a na trzecim – 1g. 

Podczas spotkania wręczone zostały również nagrody za konkurs indywidualny, w którym uczniowie musieli się wykazać wiedzą, konsekwencją i sprytem w wyszukiwaniu informacji. Najlepiej z tymi wszystkimi wyzwaniami poraziła sobie Katarzyna Leszczyńska z 3a, która w nagrodę otrzymała kartę prezentową do Empiku o wartości 125 zł, II miejsce zajęła Wiktoria Marks z kl. 2b (nagroda o wartości 75zł), a na III znaleźli się: Weronika Ponikowska z 3d i Tomasz Przyborowski z 3e (nagrody o wartości 50zł).

Luty w papieskim gimnazjum był krótki (bo to zaledwie 2 tygodnie po feriach), ale niezwykle intensywny. Oprócz „Mody na polski” uczniowie klas III wzięli udział w konkursie wiedzy o „Krzyżakach”, przeprowadzony został etap szkolny konkursu recytatorskiego im. Michaliny Chełmońskiej –Szczepankowskiej, przedstawicielki gimnazjum walczyły o jak najlepszy wynik w Powiatowym Konkursie Ortograficznym, a w ostatnim dniu lutego w gimnazjum gościli licealiści z ZSE, którzy w ramach realizacji projektu „Humaniści przemycają wiedzę” przeprowadzili dla pierwszaków zajęcia na temat poprawności językowej. Krótko mówiąc, działo się bardzo wiele. Co prawda luty się już skończył, ale moda na język polski w gimnazjum nadal trwa!

Agnieszka Kożuchowska (nauczycielka języka polskiego)

Wieczór hiszpański dla dorosłych

Podczas swojego ostatniego wieczoru międzykulturowego wolontariuszka Sara Núñez Torrado przedstawi najciekawsze różnice i podobieństwa, a także swoje refleksje na temat kultury polskiej i hiszpańskiej. Podzieli się spostrzeżeniami: co ją zaskoczyło, rozbawiło i zainteresowało podczas prawie półrocznego pobytu w Mińsku Mazowieckim. Spotkanie jak zwykle będzie dynamiczne, pełne dobrej zabawy i atrakcji angażujących publiczność. 

Sara gorąco zaprasza młodzież i dorosłych do wspólnego spędzenia miłego wieczoru przy dobrej muzyce, ciekawych opowieściach i smacznych przekąskach, które przygotuje własnoręcznie.

Organizatorem spotkania jest Fundacja Rozwoju Międzykulturowego EBU we współpracy z Miejską Biblioteką Publiczną, wydarzenie w ramach projektu "SKY IS THE LIMIT" finansowanego z programu Erasmus+.

IV LIGA PIŁKI SIATKOWEJ

Ogłoszenie o przetargach

Informacja o przetargach

INFORMACJA

Stosownie do art. 38 ust. 2 ustawy z dnia 21 sierpnia 1997 r. o gospodarce nieruchomościami ( Dz. U. z 2015 r., poz.1774 z późn. zm. ) - i n f o r m u j ę, że ogłosiłem osiem drugich przetargów ustnych nieograniczonych na sprzedaż niezabudowanych nieruchomości: Nr 8281, 8284, 8285, 8286, 8290, 8291, 8292, 8293 oraz 7/10 części działki drogowej Nr 8287, położonych w Mińsku Mazowieckim przy ul. Marii Grochowskiej, stanowiących zgodnie z księgami wieczystymi Nr SI1M/00039778/1 i Nr SI1M/00120385/4 własność Miasta Mińsk Mazowiecki.

Zgodnie z miejscowym planem zagospodarowania przestrzennego miasta Mińsk Mazowiecki opisane wyżej nieruchomości położone są w terenie przeznaczonym pod usługi oświaty z dopuszczeniem usług nieuciążliwych służących funkcji podstawowej, w tym usług sportu oraz z dopuszczeniem zabudowy mieszkaniowej po odstąpieniu od realizacji funkcji podstawowej.

Ogłoszenie o tych przetargach podano do wiadomości publicznej poprzez wywieszenie na tablicy ogłoszeń w siedzibie Urzędu Miasta Mińsk Mazowiecki, na terenie miasta w sposób zwyczajowo przyjęty oraz poprzez umieszczenie na stronie internetowej Urzędu Miasta i w Biuletynie Informacji Publicznej.

Burmistrz Miasta Mińsk Mazowiecki
/-/ Marcin Jakubowski

Sukces na 50-lecie sekcji brydża sportowego

Obchodząca w 2016 roku swoje 50-lecie sekcja brydża sportowego MKS „Mazovia” godnie uczciła ten jubileusz. Po rozegraniu w Starachowicach oraz Cedyni k/Kielc 20 spotkań w ramach rozgrywek I Ligi sezonu 2015/2016 drużyna z dorobkiem 213,58 VP wśród 16 zespołów Ligi uplasowała się na wysokim 5 miejscu uprawniającym do gry o awans do ekstraklasy.

„Mazovię” wyprzedziły : Skobud Tarnobrzeg 236,49 VP, Bridge 24 pl2, Warszawa 235,61 VP, Konstanta Bielsko Biała 233,91 VP oraz Pectroactiv Piast Skawina 215,29 VP. Kolejne 6 miejsce premiowane udziałem w rozgrywkach play off o awans do ekstraklasy zajęła ekipa Elektromontażu Rzeszów 210,75. W pierwszym 72 rozdaniowym meczu play off rozegranym w dniach 12/13 lutego w Warszawie „Mazovia” pokonała wysoko drużynę Termochem Chemik Puławy w stosunku 183 : 101. Następnym rywalem mińskich brydżystów była bardzo silna ekipa Konstanta Bielsko Biała z którą „Mazovia” rywalizowała w Starachowicach w dniach 27 i 28 lutego br. W 72 rozdaniowym meczu składającym się z 6 segmentów po 12 rozdań każdy, sytuacja zmieniała się a napięcie rosło. Po 24 rozdaniach prowadziła Konstanta z niewielką przewagą, po trzecim segmencie przewagę uzyskała „Mazovia” nie oddając jej do końca meczu . XIII Indywidualne Mistrzostwa MDK w szachach Ostatecznie „Mazovia” pokonała Konstantę Bielsko Biała w stosunku 173 : 147,2 co zapewniło drużynie 3 miejsce w rozgrywkach I Ligi i zagwarantowało udział w barażach o ekstraklasę . Rywalem „Mazovii” może być jedna z następujących drużyn zagrożonych spadkiem z ekstraklasy : RAL Poznań, SPS Construction Kielce, Andrzejki Gdańsk, Siwik Holiday BT Mrągowo. W przypadku sukcesu w pierwszym barażu do awansu potrzebne będzie jeszcze jedno zwycięstwo. Zadanie jest trudne, ale drużyna jest pozytywnie zmotywowana. Skład „Mazovii” w bieżącym sezonie przedstawia się następująco : Krzysztof Roguski – kapitan drużyny, Krzysztof Kulka, Andrzej Ogłoblin, Jan Nadaj, Marek Dalecki, Maciej Modrzejewski, Piotr Krajewski, Igor Łosiewicz, Grzegorz Darkiewicz Moniuszko, Andrzej Potyński, Zbigniew Szostak, Jerzy Orzeł, Władysław Izdebski, Kazimierz Samoder. oprac. na podstawie materiałów MKS „Mazovia” , fot. z arch. klubu Uroczystym elementem finału było wręczenie najlepszym zawodnikom w poszczególnych kategoriach turnieju pucharów, medali, dyplomów i nagród rzeczowych oraz słodkiej niespodzianki wszystkim uczestnikom sportowych zmagań sfinansowanych przez MDK. Sędzią głównym turnieju był Andrzej Koseski. Równolegle do turnieju dla młodych szachistów odbyły się zawody szachów błyskawicznych, w których wzięło udział 8 zawodników. Zwycięzcą w tym turnieju został Jakub Suliborski, II miejsce zdobyła Monika Rykała, a trzecie Sławomir Ołowski.

 

oprac. na podstawie materiałów
MKS „Mazovia” , fot. z arch. klubu

Literatura dla wszystkich w MDK

Kalendarium

«marzec 2021»
PnWtŚrCzwPtSobNd
1234567
891011121314
15161718192021
22232425262728
293031

Najbliższe wydarzenia:

Brak wydarzeń w wybranym okresie

Reklama

  • Dyżury aptek
  • Wirtualny spacer
  • INWESTYCJE
  • baner reklamowy
  • MIM
  • FUNDUSZE ZEWNĘTRZNE
  • MIASTA PARTNERSKIE
  • OFERTY PRACY
  • GALERIA
  • CERTYFIKATY
  • ANKIETY
  • PLAN MIASTA
  • Punkty teleadresowe
  • E_PUŁAP
  • Karta Dużej Rodziny
  • Rodzinny Mińsk
  • Żołnierze Wyklęci

Rotator zdjęć

  • MKS MAZOVIA
    MKS MAZOVIA
  • Gmina Mińsk Mazowiecki

Dane teleadresowe

Urząd Miasta Mińsk Mazowiecki
ul. Konstytucji 3 Maja 1
05-300 Mińsk Mazowiecki
tel. +48 25 759 53 00, 759 53 11
fax +48 25 758 40 25
e-mail: boi@umminskmaz.pl

Licznik

Licznik odwiedzin 49263