Miasto Mińsk Mazowiecki

Zdjęcia w topie

Zmiana wizualizacji

Data

Dzisiaj jest 3 marca 2021

Imieniny:

Kunegundy, Maryny, Hieronima

Menu główne

Plan zagospodarowania przestrzennego

Ewidencja zabytków

Księga gości

Wpisz się do księgi gości. Zostaw po sobie ślad.

Newsletter

Newsletter
Zapisz się do newslettera i bądź na bieżąco z wydarzeniami

Podaj poniżej adres e-mail

Reklama

  • Europa dla Obywateli
  • MSA wyposażenie

Nawigacja:

  • Rozbudowa ul. Dąbrówki    /   

Treść strony

Rozbudowa ul. Dąbrówki


W związku z realizacją inwestycji polegającej na rozbudowie ul. Dąbrówki, zostaje wprowadzona czasowa organizacja ruchu.

Utrudnienia w ruchu związane z przebudową ww. ulicy potrwają do końca listopada 2017 roku.

Kolejne informacje podamy w miarę postępowania prac.


Zamknięcie ul. Dąbrówki na odcinku od ul. Cichej do ul. Śniadeckich

Uprzejmie informujemy, że w dniach od 7 września do 25 września 2017 r. zostanie zamknięty ruch na ul. Dąbrówki na odcinku od ul. Cichej do ul. Śniadeckich.
W tym czasie będzie wykonywane koryto i warstwy podbudowy ulicy Dąbrówki.
Przejazd możliwy jest ulicami: Cichą i Śniadeckich, na których tymczasowo wprowadzono ruch dwukierunkowy.
Przepraszamy bardzo za utrudnienia. Przewidujemy, że termin robót może zostać skrócony, jeśli sprzyjać będą warunki pogodowe.


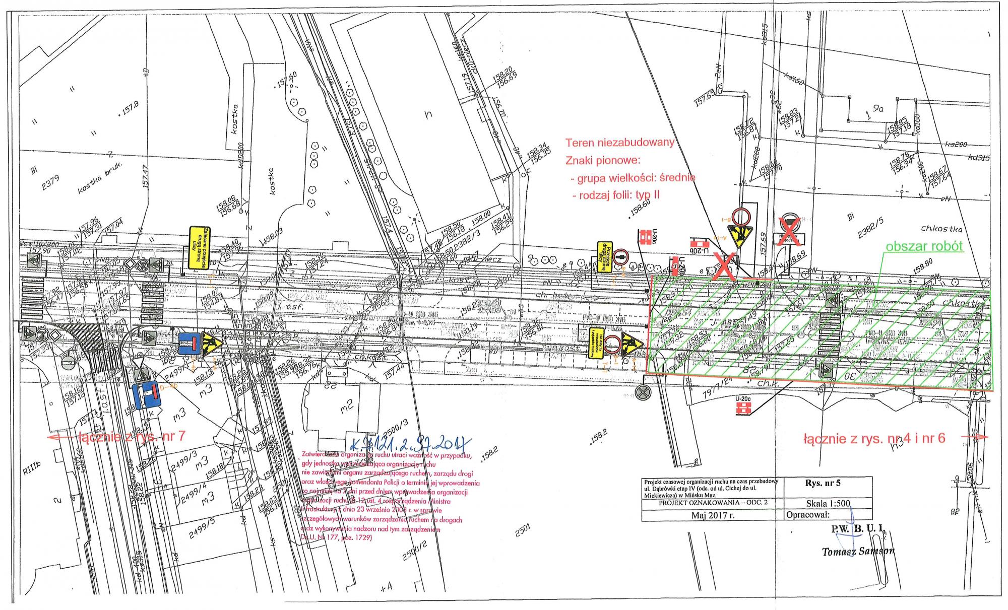
  • Odcinek I - od ul. Cichej do sklepu LIDL, zostanie zamknięty dla ruchu pojazdów i pieszych na okres od 30 czerwca do 27 lipca 2017 roku.

Oznaczenie wg. zał. rysunku.


  • Odcinek II -pomiędzy zjazdami do sklepu Lidl, będzie zamknięty na okres od 28 lipca do 18 sierpnia 2017 roku.

Oznaczenie wg. zał. rysunków.

Kalendarium

«marzec 2021»
PnWtŚrCzwPtSobNd
1234567
891011121314
15161718192021
22232425262728
293031

Najbliższe wydarzenia:

Brak wydarzeń w wybranym okresie

Reklama

  • Dyżury aptek
  • Wirtualny spacer
  • INWESTYCJE
  • baner reklamowy
  • MIM
  • FUNDUSZE ZEWNĘTRZNE
  • MIASTA PARTNERSKIE
  • OFERTY PRACY
  • GALERIA
  • CERTYFIKATY
  • ANKIETY
  • PLAN MIASTA
  • Punkty teleadresowe
  • E_PUŁAP
  • Karta Dużej Rodziny
  • Rodzinny Mińsk
  • Żołnierze Wyklęci

Rotator zdjęć

  • MKS MAZOVIA
    MKS MAZOVIA
  • Gmina Mińsk Mazowiecki

Dane teleadresowe

Urząd Miasta Mińsk Mazowiecki
ul. Konstytucji 3 Maja 1
05-300 Mińsk Mazowiecki
tel. +48 25 759 53 00, 759 53 11
fax +48 25 758 40 25
e-mail: boi@umminskmaz.pl

Licznik

Licznik odwiedzin 13736